Euura bergmanni {species} - Arthropoda; Insecta; Hymenoptera; Tenthredinidae; Nematinae; Euura;

For the latest taxonomy data, visit boldsystems.org.

BOLD Stats

Specimen Records: 104 Public Records: 86
Specimens with Sequences: 96 Public Species: 1
Specimens with Barcodes: 92 Public BINs: 3
Species: 1          
Species With Barcodes: 1          
           

Contributors (Specimens & Sequencing)

Specimen Depositories: Sequencing Labs:
Depositories
Sequencing Labs

Imagery

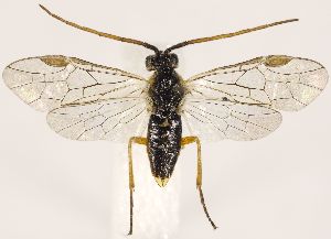
images representing specimens of Euura bergmanni
 ( - ZMUO.033501)  @14 [ ] CreativeCommons - Attribution Non-Commercial (2018) Marko Mutanen University of Oulu  ( - ZMUO.035691)  @14 [ ] CreativeCommons - Attribution Non-Commercial (2019) Marko Mutanen University of Oulu  ( - ZMUO.034915)  @13 [ ] CreativeCommons - Attribution Non-Commercial (2019) Marko Mutanen University of Oulu
 ( - ZMUO.031666)  @13 [ ] CreativeCommons - Attribution Non-Commercial (2018) Marko Mutanen University of Oulu  ( - ZMUO.032022)  @13 [ ] CreativeCommons - Attribution Non-Commercial (2018) Marko Mutanen University of Oulu  ( - ZMUO.032583)  @13 [ ] CreativeCommons - Attribution Non-Commercial (2018) Marko Mutanen University of Oulu
 ( - ZMUO.033512)  @13 [ ] CreativeCommons - Attribution Non-Commercial (2018) Marko Mutanen University of Oulu  ( - ZMUO.029683)  @13 [ ] CreativeCommons - Attribution Non-Commercial (2016) Marko Mutanen University of Oulu  ( - BC ZSM HYM 22420)  @13 [ ] CreativeCommons - Attribution Non-Commercial Share-Alike (2015) SNSB, Zoologische Staatssammlung Muenchen SNSB, Zoologische Staatssammlung Muenchen
 ( - BC ZSM HYM 23113)  @13 [ ] CreativeCommons - Attribution Non-Commercial Share-Alike (2015) SNSB, Zoologische Staatssammlung Muenchen SNSB, Zoologische Staatssammlung Muenchen  ( - ZMUO.029738)  @13 [ ] CreativeCommons - Attribution Non-Commercial (2016) Marko Mutanen University of Oulu  ( - ZMUO.030891)  @13 [ ] CreativeCommons - Attribution Non-Commercial (2018) Marko Mutanen University of Oulu
 ( - ZMUO.030892)  @13 [ ] CreativeCommons - Attribution Non-Commercial (2018) Marko Mutanen University of Oulu  ( - ZMUO.030893)  @13 [ ] CreativeCommons - Attribution Non-Commercial (2018) Marko Mutanen University of Oulu  ( - ZMUO.030894)  @13 [ ] CreativeCommons - Attribution Non-Commercial (2018) Marko Mutanen University of Oulu
 ( - ZMUO.030895)  @13 [ ] CreativeCommons - Attribution Non-Commercial (2018) Marko Mutanen University of Oulu  ( - ZMUO.030898)  @13 [ ] CreativeCommons - Attribution Non-Commercial (2018) Marko Mutanen University of Oulu  ( - ZMUO.031097)  @13 [ ] CreativeCommons - Attribution Non-Commercial (2018) Marko Mutanen University of Oulu
 ( - ZMUO.031669)  @13 [ ] CreativeCommons - Attribution Non-Commercial (2018) Marko Mutanen University of Oulu  ( - DEI-GISHym20294)  @13 [ ] Copyright (2012) Senckenberg Deutsches Entomologisches Institut Senckenberg Deutsches Entomologisches Institut  ( - ZMUO.034928)  @13 [ ] CreativeCommons - Attribution Non-Commercial (2019) Marko Mutanen University of Oulu
  Sample ID:
ZMUO.034928
  License:
CreativeCommons - Attribution Non-Commercial (2019)
  License Holder:
Marko Mutanen, University of Oulu

Collection Sites




Collected from 7 countries.
Top 20:
Show All Countries Expand List
Germany18Slovakia2Canada1
Finland4United Kingdom1
Sweden2Switzerland1