Neotheronia Malaise9859 {species} - Arthropoda; Insecta; Hymenoptera; Ichneumonidae; Pimplinae; Neotheronia;

For the latest taxonomy data, visit boldsystems.org.

BOLD Stats

Specimen Records: 78 Public Records: 25
Specimens with Sequences: 78 Public Species: 1
Specimens with Barcodes: 78 Public BINs: 1
Species: 1          
Species With Barcodes: 1          
           

Contributors (Specimens & Sequencing)

Specimen Depositories: Sequencing Labs:
Depositories
Sequencing Labs

Imagery

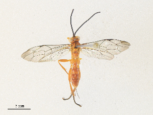
images representing specimens of Neotheronia Malaise9859
 ( - BIOUG30010-F04)  @14 [ ] CreativeCommons - Attribution (2016) CBG Photography Group Centre for Biodiversity Genomics  ( - CBG-A67833-F03)  @11 [ ] CreativeCommons - Attribution Share - Alike (2025) CBG Photography Group Centre for Biodiversity Genomics  ( - CBG-A06271-B09)  @11 [ ] CreativeCommons - Attribution Share - Alike (2023) CBG Photography Group Centre for Biodiversity Genomics
 ( - CBG-A67807-B02)  @11 [ ] CreativeCommons - Attribution Share - Alike (2025) CBG Photography Group Centre for Biodiversity Genomics  ( - CBG-A38515-E04)  @11 [ ] CreativeCommons - Attribution Share - Alike (2024) CBG Photography Group Centre for Biodiversity Genomics  ( - CBG-A67016-F06)  @11 [ ] CreativeCommons - Attribution Share - Alike (2025) CBG Photography Group Centre for Biodiversity Genomics
 ( - CBG-A67016-F05)  @11 [ ] CreativeCommons - Attribution Share - Alike (2025) CBG Photography Group Centre for Biodiversity Genomics  ( - CBG-A69621-H06)  @11 [ ] CreativeCommons - Attribution Share - Alike (2025) CBG Photography Group Centre for Biodiversity Genomics  ( - CBG-A72922-A04)  @11 [ ] CreativeCommons - Attribution Share - Alike (2025) CBG Photography Group Centre for Biodiversity Genomics
 ( - CBG-A17530-B08)  @11 [ ] CreativeCommons - Attribution Share - Alike (2023) CBG Photography Group Centre for Biodiversity Genomics  ( - CBG-A07051-D07)  @11 [ ] CreativeCommons - Attribution Share - Alike (2023) CBG Photography Group Centre for Biodiversity Genomics  ( - BIOUG76544-A06)  @11 [ ] CreativeCommons - Attribution (2022) CBG Photography Group Centre for Biodiversity Genomics
 ( - BIOUG85489-D11)  @11 [ ] CreativeCommons - Attribution (2022) CBG Photography Group Centre for Biodiversity Genomics  ( - BIOUG70307-G09)  @11 [ ] CreativeCommons - Attribution (2022) CBG Photography Group Centre for Biodiversity Genomics  ( - BIOUG80165-G04)  @11 [ ] CreativeCommons - Attribution (2022) CBG Photography Group Centre for Biodiversity Genomics
 ( - BIOUG73031-E02)  @11 [ ] CreativeCommons - Attribution (2022) CBG Photography Group Centre for Biodiversity Genomics  ( - BIOUG76553-D02)  @11 [ ] CreativeCommons - Attribution (2022) CBG Photography Group Centre for Biodiversity Genomics  ( - BIOUG76526-D09)  @11 [ ] CreativeCommons - Attribution (2022) CBG Photography Group Centre for Biodiversity Genomics
 ( - CBG-A06272-F08)  @11 [ ] CreativeCommons - Attribution Share - Alike (2023) CBG Photography Group Centre for Biodiversity Genomics  ( - BIOUG80146-D03)  @11 [ ] CreativeCommons - Attribution (2022) CBG Photography Group Centre for Biodiversity Genomics  ( - CBG-A30064-B08)  @11 [ ] CreativeCommons - Attribution Share - Alike (2024) CBG Photography Group Centre for Biodiversity Genomics
  Sample ID:
CBG-A30064-B08
  License:
CreativeCommons - Attribution Share - Alike (2024)
  License Holder:
CBG Photography Group, Centre for Biodiversity Genomics

Collection Sites




Collected from 1 countries.
Top 20:
Show All Countries Expand List
Costa Rica61