crypMalaise01 Malaise7293 {species} - Arthropoda; Insecta; Hymenoptera; Ichneumonidae; Cryptinae; crypMalaise01;

For the latest taxonomy data, visit boldsystems.org.

BOLD Stats

Specimen Records: 32 Public Records: 12
Specimens with Sequences: 32 Public Species: 1
Specimens with Barcodes: 32 Public BINs: 1
Species: 1          
Species With Barcodes: 1          
           

Contributors (Specimens & Sequencing)

Specimen Depositories: Sequencing Labs:
Depositories
Sequencing Labs

Imagery

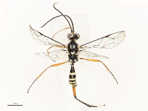
images representing specimens of crypMalaise01 Malaise7293
 ( - BIOUG09433-B01)  @15 [ ] CreativeCommons - Attribution (2015) CBG Photography Group Centre for Biodiversity Genomics  ( - CBG-A04466-H06)  @11 [ ] CreativeCommons - Attribution (2023) CBG Photography Group Centre for Biodiversity Genomics  ( - CBG-A04513-F03)  @11 [ ] CreativeCommons - Attribution (2023) CBG Photography Group Centre for Biodiversity Genomics
 ( - CBG-A67899-E07)  @11 [ ] CreativeCommons - Attribution Share - Alike (2025) CBG Photography Group Centre for Biodiversity Genomics  ( - CBG-A30955-C06)  @11 [ ] CreativeCommons - Attribution Share - Alike (2024) CBG Photography Group Centre for Biodiversity Genomics  ( - BIOUG76563-G02)  @11 [ ] CreativeCommons - Attribution (2022) CBG Photography Group Centre for Biodiversity Genomics
 ( - BIOUG73644-F01)  @11 [ ] CreativeCommons - Attribution (2021) CBG Photography Group Centre for Biodiversity Genomics  ( - CBG-A31829-D06)  @11 [ ] CreativeCommons - Attribution Share - Alike (2024) CBG Photography Group Centre for Biodiversity Genomics  ( - BIOUG89996-F05)  @11 [ ] CreativeCommons - Attribution (2022) CBG Photography Group Centre for Biodiversity Genomics
 ( - CBG-A54442-D08)  @11 [ ] CreativeCommons - Attribution Share - Alike (2024) CBG Photography Group Centre for Biodiversity Genomics  ( - CBG-A58579-G07)  @11 [ ] CreativeCommons - Attribution Share - Alike (2024) CBG Photography Group Centre for Biodiversity Genomics  ( - CBG-A04541-H01)  @11 [ ] CreativeCommons - Attribution (2023) CBG Photography Group Centre for Biodiversity Genomics
 ( - CBG-A67853-E05)  @11 [ ] CreativeCommons - Attribution Share - Alike (2025) CBG Photography Group Centre for Biodiversity Genomics  ( - BIOUG77734-C11)  @11 [ ] CreativeCommons - Attribution (2022) CBG Photography Group Centre for Biodiversity Genomics  ( - CBG-A67867-D12)  @11 [ ] CreativeCommons - Attribution Share - Alike (2025) CBG Photography Group Centre for Biodiversity Genomics
 ( - CBG-A67807-F10)  @11 [ ] CreativeCommons - Attribution Share - Alike (2025) CBG Photography Group Centre for Biodiversity Genomics  ( - CBG-A69590-F02)  @11 [ ] CreativeCommons - Attribution Share - Alike (2025) CBG Photography Group Centre for Biodiversity Genomics  ( - CBG-B13756-A08)  @11 [ ] CreativeCommons - Attribution Share - Alike (2025) CBG Photography Group Centre for Biodiversity Genomics
 ( - CBG-B13779-B07)  @11 [ ] CreativeCommons - Attribution Share - Alike (2025) CBG Photography Group Centre for Biodiversity Genomics  ( - CBG-B12675-D09)  @11 [ ] CreativeCommons - Attribution Share - Alike (2025) CBG Photography Group Centre for Biodiversity Genomics  ( - CBG-B13896-G01)  @11 [ ] CreativeCommons - Attribution Share - Alike (2025) CBG Photography Group Centre for Biodiversity Genomics
  Sample ID:
CBG-B13896-G01
  License:
CreativeCommons - Attribution Share - Alike (2025)
  License Holder:
CBG Photography Group, Centre for Biodiversity Genomics

Collection Sites




Collected from 1 countries.
Top 20:
Show All Countries Expand List
Costa Rica31