You've been logged out. Click
here
to log back in.
Log In
Log In
BOLD Systems
Databases
Taxonomy
Identification
Workbench
Resources
Latest Version
Melcha {genus} -
Arthropoda
;
Insecta
;
Hymenoptera
;
Ichneumonidae
;
Cryptinae
;
Cryptini
;
Print
For the latest taxonomy data, visit
boldsystems.org
.
Search Taxonomy
Sub-taxa
Species (3)
Melcha albispina [1]
Melcha sp. 1 BFS-2018 [1]
Melcha sp. 2 BFS-2018 [2]
Taxon Description (Wikipedia)
full article at Wikipedia
BOLD Stats
Specimen Records:
9
Public Records:
5
Specimens with Sequences:
9
Public Species:
3
Specimens with Barcodes:
8
Public BINs:
3
Species:
3
Species With Barcodes:
3
Species List - Progress
Access Published & Released Data
Contributors (Specimens & Sequencing)
Specimen Depositories:
Sequencing Labs:
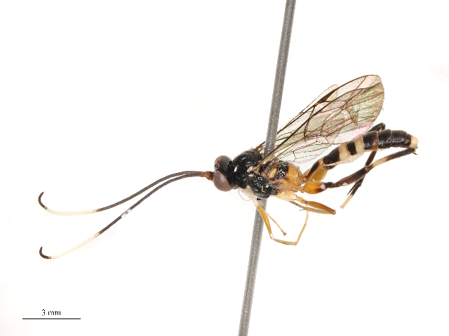
Imagery
images representing subtaxa of Melcha
Sample ID:
CBG-B23815-C07
License:
CreativeCommons - Attribution Share - Alike (2025)
License Holder:
CBG Photography Group, Centre for Biodiversity Genomics
Collection Sites
Collected from 1 countries.
Top 20:
Show All Countries
Thailand
2