Leptoglossus clypealis {species} - Arthropoda; Insecta; Hemiptera; Coreidae; Coreinae; Anisoscelini; Leptoglossus;

For the latest taxonomy data, visit boldsystems.org.

BOLD Stats

Specimen Records: 39 Public Records: 35
Specimens with Sequences: 37 Public Species: 1
Specimens with Barcodes: 14 Public BINs: 1
Species: 1          
Species With Barcodes: 1          
           

Contributors (Specimens & Sequencing)

Specimen Depositories: Sequencing Labs:
Depositories
Sequencing Labs

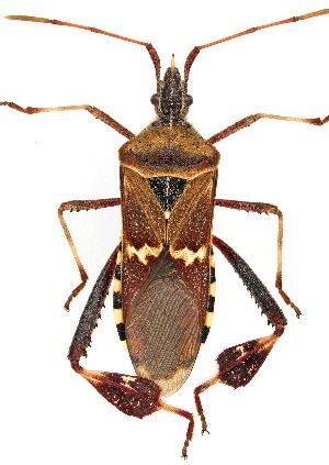
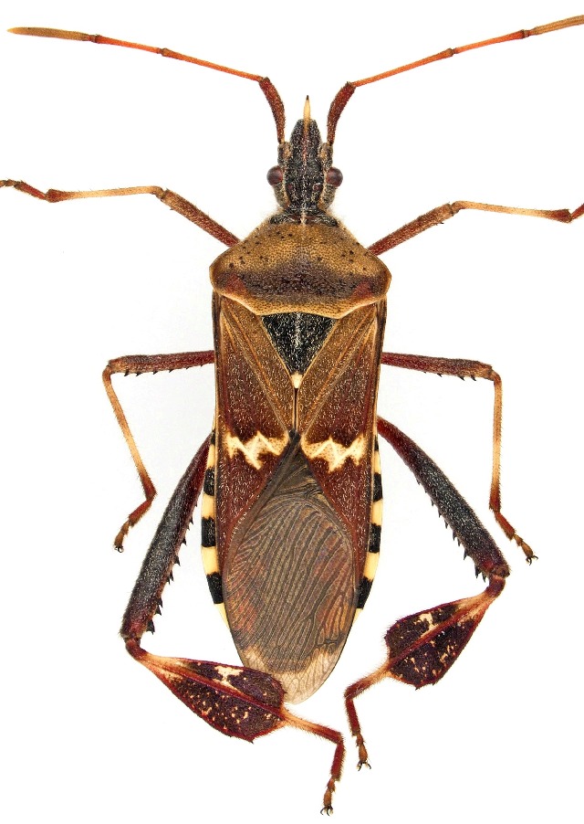
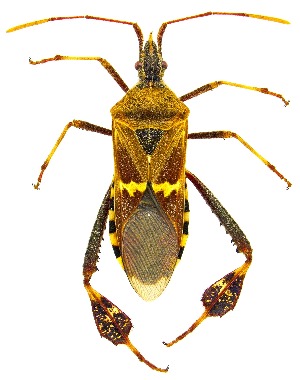
Imagery

images representing specimens of Leptoglossus clypealis
 ( - A008593)  @14 [ ] No Rights Reserved (2017) Unspecified CREA-DC (Firenze)  ( - UAIC1159507)  @11 [ ] Copyright  Salvador Vitanza Unspecified  ( - CNC#HEM302336)  @11 [ ] CreativeCommons - Attribution (2011) CNC/CBG Photography Group Centre for Biodiversity Genomics
 ( - CNC#HEM302337)  @11 [ ] CreativeCommons - Attribution (2011) CNC/CBG Photography Group Centre for Biodiversity Genomics  ( - CNC#HEM302338)  @11 [ ] CreativeCommons - Attribution (2011) CNC/CBG Photography Group Centre for Biodiversity Genomics  ( - UAIC1151907)  @11 [ ] Copyright  Salvador Vitanza Unspecified
  Sample ID:
UAIC1151907
  License:
Copyright 
  License Holder:
Salvador Vitanza, Unspecified

Collection Sites




Collected from 2 countries.
Top 20:
Show All Countries Expand List
United States5Mexico1