Empedocles luridus {species} - Arthropoda; Insecta; Hemiptera; Coreidae; Coreinae; Acanthocephalini; Empedocles;

For the latest taxonomy data, visit boldsystems.org.

BOLD Stats

Specimen Records: 5 Public Records: 3
Specimens with Sequences: 5 Public Species: 1
Specimens with Barcodes: 4 Public BINs: 1
Species: 1          
Species With Barcodes: 1          
           

Contributors (Specimens & Sequencing)

Specimen Depositories: Sequencing Labs:
Depositories
Sequencing Labs

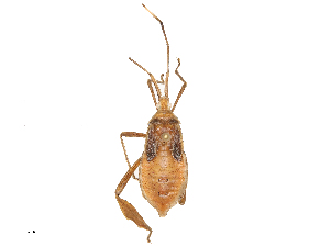
Imagery

images representing specimens of Empedocles luridus
 ( - ME363)  @11 [ ] No Rights Reserved (2018) Leonela Olivera Museo de La Plata  ( - ME365)  @11 [ ] No Rights Reserved (2018) Leonela Olivera Museo de La Plata  ( - ME367)  @11 [ ] No Rights Reserved (2018) Leonela Olivera Museo de La Plata
 ( - CBG-B22939-E11)  @11 [ ] CreativeCommons - Attribution Share - Alike (2025) CBG Photography Group Centre for Biodiversity Genomics  ( - CBG-B21797-D08)  @11 [ ] CreativeCommons - Attribution Share - Alike (2025) CBG Photography Group Centre for Biodiversity Genomics
  Sample ID:
CBG-B21797-D08
  License:
CreativeCommons - Attribution Share - Alike (2025)
  License Holder:
CBG Photography Group, Centre for Biodiversity Genomics

Collection Sites




Collected from 1 countries.
Top 20:
Show All Countries Expand List
Argentina5