Parcoblatta notha {species} - Arthropoda; Insecta; Blattodea; Blattellidae; Parcoblatta;

For the latest taxonomy data, visit boldsystems.org.

BOLD Stats

Specimen Records: 10 Public Records: 6
Specimens with Sequences: 10 Public Species: 1
Specimens with Barcodes: 10 Public BINs: 1
Species: 1          
Species With Barcodes: 1          
           

Contributors (Specimens & Sequencing)

Specimen Depositories: Sequencing Labs:
Depositories
Sequencing Labs

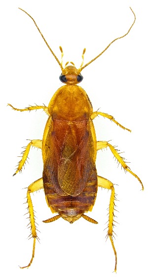
Imagery

images representing specimens of Parcoblatta notha
 ( - PIMAUA0004)  @11 [ ] CreativeCommons - Attribution Non-Commercial Share-Alike (2017) Wendy Moore University of Arizona  ( - PIMAUA0018)  @11 [ ] CreativeCommons - Attribution Non-Commercial Share-Alike (2017) Wendy Moore University of Arizona  ( - PIMAUA0001)  @11 [ ] CreativeCommons - Attribution Non-Commercial Share-Alike (2017) Wendy Moore University of Arizona
 ( - PIMAUA0007)  @11 [ ] CreativeCommons - Attribution Non-Commercial Share-Alike (2017) Wendy Moore University of Arizona  ( - PIMAUA0020)  @11 [ ] CreativeCommons - Attribution Non-Commercial Share-Alike (2017) Wendy Moore University of Arizona  ( - WM4733)  @11 [ ] CreativeCommons - Attribution Non-Commercial Share-Alike (2017) Wendy Moore University of Arizona
 ( - UAIC1151520)  @11 [ ] Copyright  Salvador Vitanza Unspecified  ( - UAIC1159259)  @11 [ ] Copyright  Salvador Vitanza Unspecified
  Sample ID:
UAIC1159259
  License:
Copyright 
  License Holder:
Salvador Vitanza, Unspecified

Collection Sites




Collected from 1 countries.
Top 20:
Show All Countries Expand List
United States10