Gerris sphagnetorum {species} - Arthropoda; Insecta; Hemiptera; Gerridae; Gerrinae; Gerrini; Gerris;

For the latest taxonomy data, visit boldsystems.org.

BOLD Stats

Specimen Records: 6 Public Records: 0
Specimens with Sequences: 1 Public Species: 0
Specimens with Barcodes: 1 Public BINs: 0
Species: 1          
Species With Barcodes: 1          
           

Contributors (Specimens & Sequencing)

Specimen Depositories: Sequencing Labs:
Depositories

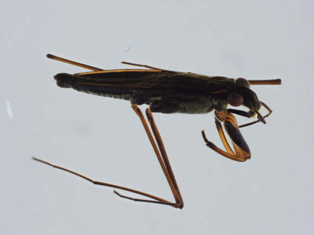
Imagery

images representing specimens of Gerris sphagnetorum
 ( - ZMUO.029042)  @11 [ ] CreativeCommons - Attribution Non-Commercial (2016) Marko Mutanen University of Oulu  ( - ZMUO.029041)  @11 [ ] CreativeCommons - Attribution Non-Commercial (2016) Marko Mutanen University of Oulu  ( - ZMUO.029040)  @11 [ ] CreativeCommons - Attribution Non-Commercial (2016) Marko Mutanen University of Oulu
 ( - MZH_KZ.7841)  @11 [ ] by-nc (2018) Marko Mutanen University of Oulu  ( - MZH_KZ.7837)  @11 [ ] by-nc (2018) Marko Mutanen University of Oulu
  Sample ID:
MZH_KZ.7837
  License:
by-nc (2018)
  License Holder:
Marko Mutanen, University of Oulu

Collection Sites




Collected from 0 countries.
Top 20:
Show All Countries Expand List