You've been logged out. Click
here
to log back in.
Log In
Log In
BOLD Systems
Databases
Taxonomy
Identification
Workbench
Resources
Latest Version
Oeme rigida {species} -
Arthropoda
;
Insecta
;
Coleoptera
;
Cerambycidae
;
Cerambycinae
;
Oemini
;
Oeme
;
Print
For the latest taxonomy data, visit
boldsystems.org
.
Search Taxonomy
Sub-taxa
Subspecies (1)
Oeme rigida deserta [1]
Taxon Description (Wikipedia)
full article at Wikipedia
BOLD Stats
Specimen Records:
6
Public Records:
3
Specimens with Sequences:
4
Public Species:
1
Specimens with Barcodes:
2
Public BINs:
1
Species:
1
Species With Barcodes:
1
Subspecies List - Progress
Access Published & Released Data
Contributors (Specimens & Sequencing)
Specimen Depositories:
Sequencing Labs:
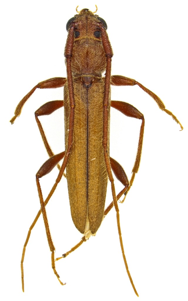
Imagery
images representing subtaxa of Oeme rigida
Sample ID:
UAIC1151929
License:
Copyright
License Holder:
Salvador Vitanza, Unspecified
Collection Sites
Collected from 2 countries.
Top 20:
Show All Countries
United States
5
Canada
1