Neoclytus mucronatus {species} - Arthropoda; Insecta; Coleoptera; Cerambycidae; Cerambycinae; Clytini; Neoclytus;

For the latest taxonomy data, visit boldsystems.org.

BOLD Stats

Specimen Records: 18 Public Records: 7
Specimens with Sequences: 12 Public Species: 1
Specimens with Barcodes: 11 Public BINs: 2
Species: 1          
Species With Barcodes: 1          
           

Contributors (Specimens & Sequencing)

Specimen Depositories: Sequencing Labs:
Depositories
Sequencing Labs

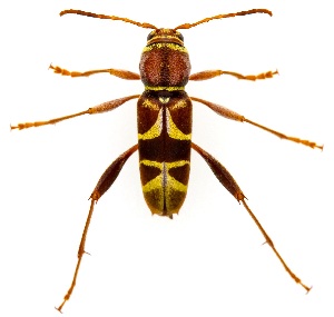
Imagery

images representing specimens of Neoclytus mucronatus
 ( - LVHOMED29)  @11 [ ] CreativeCommons - Attribution Share-Alike (2021) Unspecified URZF Unite de Recherche Zoologie Forestiere INRA  ( - CCDB-28944-A04)  @11 [ ] CreativeCommons - Attribution (2015) CBG Photography Group Centre for Biodiversity Genomics  ( - CCDB-28944-A05)  @11 [ ] CreativeCommons - Attribution (2015) CBG Photography Group Centre for Biodiversity Genomics
 ( - CCDB-28944-A06)  @11 [ ] CreativeCommons - Attribution (2015) CBG Photography Group Centre for Biodiversity Genomics  ( - UAIC1151559)  @11 [ ] Copyright  Salvador Vitanza Unspecified  ( - LVHOMED29bis)  @11 [ ] CreativeCommons – Attribution Non-Commercial Share-Alike (2021) Loïs Veillat Institut National de la Recherche Agronomique, Zoologie Forestiere
  Sample ID:
LVHOMED29bis
  License:
CreativeCommons – Attribution Non-Commercial Share-Alike (2021)
  License Holder:
Loïs Veillat, Institut National de la Recherche Agronomique, Zoologie Forestiere

Collection Sites




Collected from 1 countries.
Top 20:
Show All Countries Expand List
United States14