Cletus bipunctatus {species} - Arthropoda; Insecta; Hemiptera; Coreidae; Coreinae; Gonocerini; Cletus;

For the latest taxonomy data, visit boldsystems.org.

BOLD Stats

Specimen Records: 41 Public Records: 21
Specimens with Sequences: 41 Public Species: 1
Specimens with Barcodes: 41 Public BINs: 2
Species: 1          
Species With Barcodes: 1          
           

Contributors (Specimens & Sequencing)

Specimen Depositories: Sequencing Labs:
Depositories
Sequencing Labs

Imagery

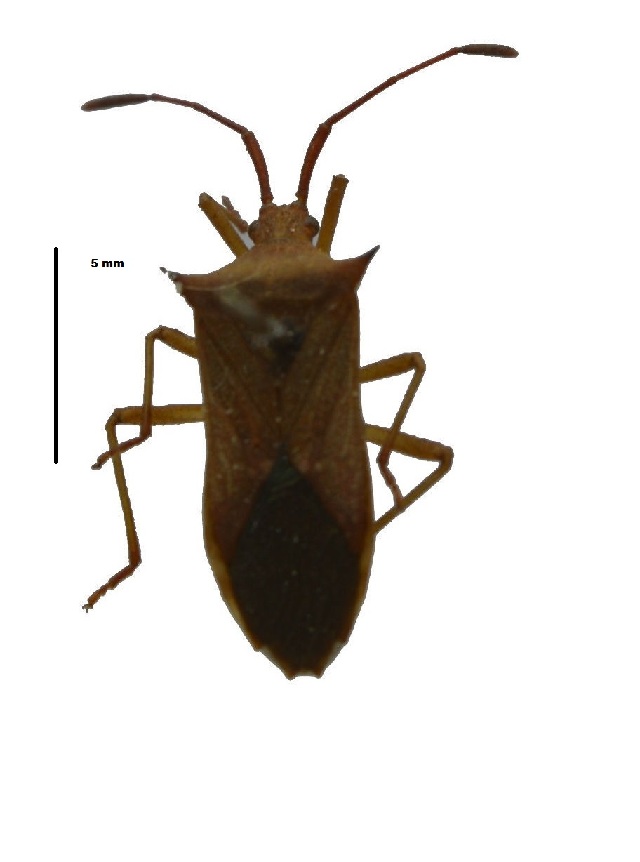
images representing specimens of Cletus bipunctatus
 ( - NIBGE HEM-0458)  @12 [ ] CreativeCommons - Attribution Non-Commercial Share-Alike (2011) Muhammad Ashfaq National Institute for Biotechnology and Genetic Engineering Faisalabad Pakistan  ( - SAEVG_Morph0297)  @11 [ ] Unspecified (default): All Rights Reserved  Unspecified Unspecified  ( - SAEVG_Morph0297)  @11 [ ] Unspecified (default): All Rights Reserved  Unspecified Unspecified
 ( - SAEVG_Morph0297)  @11 [ ] Unspecified (default): All Rights Reserved  Unspecified Unspecified  ( - SAEVG_Morph0297)  @11 [ ] Unspecified (default): All Rights Reserved  Unspecified Unspecified  ( - SAEVG_Morph0297)  @11 [ ] Unspecified (default): All Rights Reserved  Unspecified Unspecified
 ( - 12-icp-su-51)  @11 [ ] CreativeCommons - Attribution Share-Alike (2017) Unspecified Islamia Collage Peshawar
  Sample ID:
12-icp-su-51
  License:
CreativeCommons - Attribution Share-Alike (2017)
  License Holder:
Unspecified, Islamia Collage Peshawar

Collection Sites




Collected from 2 countries.
Top 20:
Show All Countries Expand List
India2Pakistan1