Enicospilus monticolaDHJ01 {species} - Arthropoda; Insecta; Hymenoptera; Ichneumonidae; Ophioninae; Enicospilus;

For the latest taxonomy data, visit boldsystems.org.

BOLD Stats

Specimen Records: 46 Public Records: 32
Specimens with Sequences: 46 Public Species: 1
Specimens with Barcodes: 42 Public BINs: 1
Species: 1          
Species With Barcodes: 1          
           

Contributors (Specimens & Sequencing)

Specimen Depositories: Sequencing Labs:
Depositories
Sequencing Labs

Imagery

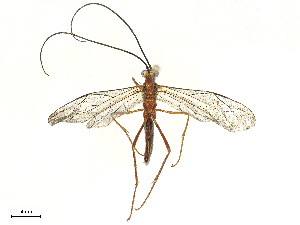
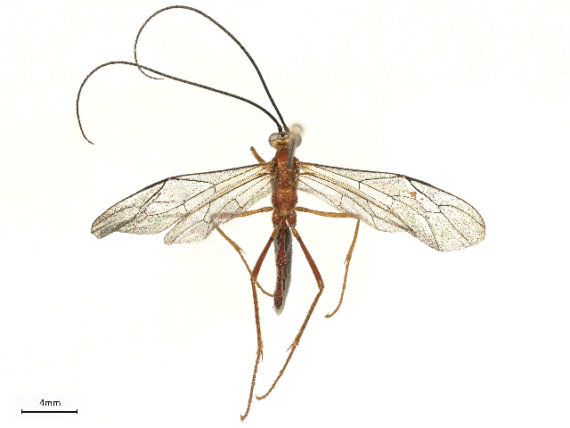
images representing specimens of Enicospilus monticolaDHJ01
 ( - BIOUG56600-D03)  @14 [ ] CreativeCommons - Attribution (2021) CBG Photography Group Centre for Biodiversity Genomics  ( - BIOUG64453-C10)  @13 [ ] CreativeCommons - Attribution (2021) CBG Photography Group Centre for Biodiversity Genomics  ( - CBG-A67836-F05)  @11 [ ] CreativeCommons - Attribution Share - Alike (2025) CBG Photography Group Centre for Biodiversity Genomics
 ( - CBG-B13891-E08)  @11 [ ] CreativeCommons - Attribution Share - Alike (2025) CBG Photography Group Centre for Biodiversity Genomics
  Sample ID:
CBG-B13891-E08
  License:
CreativeCommons - Attribution Share - Alike (2025)
  License Holder:
CBG Photography Group, Centre for Biodiversity Genomics

Collection Sites




Collected from 1 countries.
Top 20:
Show All Countries Expand List
Costa Rica42