Ophion parvulus {species} - Arthropoda; Insecta; Hymenoptera; Ichneumonidae; Ophioninae; Ophion;

For the latest taxonomy data, visit boldsystems.org.

BOLD Stats

Specimen Records: 32 Public Records: 23
Specimens with Sequences: 20 Public Species: 1
Specimens with Barcodes: 18 Public BINs: 3
Species: 1          
Species With Barcodes: 1          
           

Contributors (Specimens & Sequencing)

Specimen Depositories: Sequencing Labs:
Depositories
Sequencing Labs

Imagery

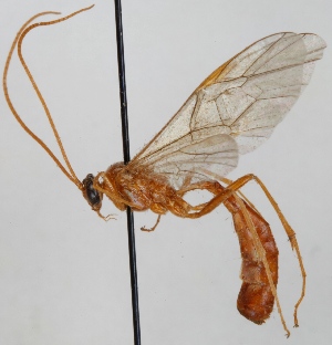
images representing specimens of Ophion parvulus
 ( - FICH-001449)  @13 [ ] CreativeCommons - Attribution Non-Commercial (2012) Marko Mutanen University of Oulu  ( - FICH-001446)  @13 [ ] CreativeCommons - Attribution Non-Commercial (2012) Marko Mutanen University of Oulu  ( - NHMUK014536844)  @11 [ ] Unspecified (default): All Rights Reserved  Unspecified Unspecified
 ( - NHMUK014536844)  @11 [ ] Unspecified (default): All Rights Reserved  Unspecified Unspecified  ( - NHMUK014536844)  @11 [ ] Unspecified (default): All Rights Reserved  Unspecified Unspecified  ( - BC ZSM HYM 23495)  @11 [ ] CreativeCommons - Attribution Non-Commercial Share-Alike (2015) SNSB, Zoologische Staatssammlung Muenchen SNSB, Zoologische Staatssammlung Muenchen
 ( - BC-LPRCorse0227)  @11 [ ] Copyright (2019) Claire Villemant Museum national d'Histoire naturelle, Paris  ( - FICH-001445)  @11 [ ] CreativeCommons - Attribution Non-Commercial (2012) Marko Mutanen University of Oulu  ( - FICH-001447)  @11 [ ] CreativeCommons - Attribution Non-Commercial (2012) Marko Mutanen University of Oulu
 ( - FICH-001448)  @11 [ ] CreativeCommons - Attribution Non-Commercial (2012) Marko Mutanen University of Oulu  ( - CollHH310)  @11 [ ] Creative Commons – Attribution Non-Commercial Share-Alike (2018) Hakon Haraldseide Unspecified  ( - NJBC 256)  @11 [ ] CreativeCommons – Attribution Non-Commercial Share-Alike (2017) Niklas Johansson Swedish University of Agricultural Sciences
 ( - NJBC 255)  @11 [ ] CreativeCommons – Attribution Non-Commercial Share-Alike (2017) Niklas Johansson Swedish University of Agricultural Sciences  ( - NJBC 253)  @11 [ ] CreativeCommons – Attribution Non-Commercial Share-Alike (2017) Niklas Johansson Swedish University of Agricultural Sciences  ( - NJBC 254)  @11 [ ] CreativeCommons – Attribution Non-Commercial Share-Alike (2017) Niklas Johansson Swedish University of Agricultural Sciences
 ( - NJBC 259)  @11 [ ] CreativeCommons – Attribution Non-Commercial Share-Alike (2017) Niklas Johansson Swedish University of Agricultural Sciences  ( - NJBC 258)  @11 [ ] CreativeCommons – Attribution Non-Commercial Share-Alike (2017) Niklas Johansson Swedish University of Agricultural Sciences  ( - NJBC 257)  @11 [ ] CreativeCommons – Attribution Non-Commercial Share-Alike (2017) Niklas Johansson Swedish University of Agricultural Sciences
 ( - CollHH1779)  @11 [ ] Creative Commons – Attribution Non-Commercial Share-Alike (2018) Hakon Haraldseide Unspecified  ( - CollHH1777)  @11 [ ] Creative Commons – Attribution Non-Commercial Share-Alike (2018) Hakon Haraldseide Unspecified  ( - CollHH309)  @11 [ ] Creative Commons – Attribution Non-Commercial Share-Alike (2018) Hakon Haraldseide Unspecified
  Sample ID:
CollHH309
  License:
Creative Commons – Attribution Non-Commercial Share-Alike (2018)
  License Holder:
Hakon Haraldseide, Unspecified

Collection Sites




Collected from 5 countries.
Top 20:
Show All Countries Expand List
Sweden11Portugal1Germany1
Norway5France1