Haplaxius {genus} - Arthropoda; Insecta; Hemiptera; Cixiidae; Cixiinae; Oecleini;

For the latest taxonomy data, visit boldsystems.org.

BOLD Stats

Specimen Records: 160 Public Records: 77
Specimens with Sequences: 157 Public Species: 11
Specimens with Barcodes: 113 Public BINs: 10
Species: 13          
Species With Barcodes: 10          
           

Contributors (Specimens & Sequencing)

Specimen Depositories: Sequencing Labs:
Depositories
Sequencing Labs

Imagery

images representing subtaxa of Haplaxius
 (Haplaxius beameri - UAIC1151288)  @11 [ ] Copyright  Salvador Vitanza Unspecified  (Haplaxius crudus - HEMI-468-A-STE-W-MHemF)  @11 [ ] CreativeCommons - Attribution Share-Alike (2021) Unspecified Temple University  (Haplaxius fulvus - CCDB-21319-F09)  @11 [ ] CreativeCommons - Attribution (2013) CBG Photography Group Centre for Biodiversity Genomics
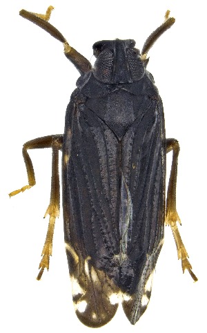
 (Haplaxius ovatus - CNC#HEM405579)  @13 [ ] CreativeCommons - Attribution (2012) CNC/CBG Photography Group Centre for Biodiversity Genomics  (Haplaxius pictifrons - CNC#HEM405580)  @14 [ ] CreativeCommons - Attribution (2012) CNC/CBG Photography Group Centre for Biodiversity Genomics  (Haplaxius radicis - CNC#HEM405793)  @12 [ ] CreativeCommons - Attribution (2012) CNC/CBG Photography Group Centre for Biodiversity Genomics
  Sample ID:
CNC#HEM405793
  License:
CreativeCommons - Attribution (2012)
  License Holder:
CNC/CBG Photography Group, Centre for Biodiversity Genomics

Collection Sites




Collected from 3 countries.
Top 20:
Show All Countries Expand List
United States10Mexico6Costa Rica3