You've been logged out. Click
here
to log back in.
Log In
Log In
BOLD Systems
Databases
Taxonomy
Identification
Workbench
Resources
Latest Version
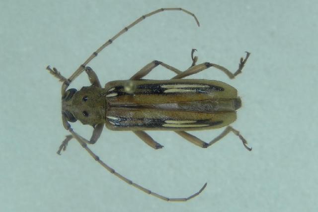
Eburia perezi {species} -
Arthropoda
;
Insecta
;
Coleoptera
;
Cerambycidae
;
Cerambycinae
;
Eburiini
;
Eburia
;
Print
For the latest taxonomy data, visit
boldsystems.org
.
Search Taxonomy
Sub-taxa
Taxon Description (Wikipedia)
full article at Wikipedia
BOLD Stats
Specimen Records:
2
Public Records:
2
Specimens with Sequences:
2
Public Species:
1
Specimens with Barcodes:
0
Public BINs:
0
Species:
1
Species With Barcodes:
0
Subspecies List - Progress
Access Published & Released Data
Contributors (Specimens & Sequencing)
Specimen Depositories:
Sequencing Labs:
Imagery
images representing specimens of Eburia perezi
Sample ID:
CER-054
License:
Unspecified (default): All Rights Reserved
License Holder:
Unspecified
Collection Sites
Collected from 1 countries.
Top 20:
Show All Countries
Mexico
2