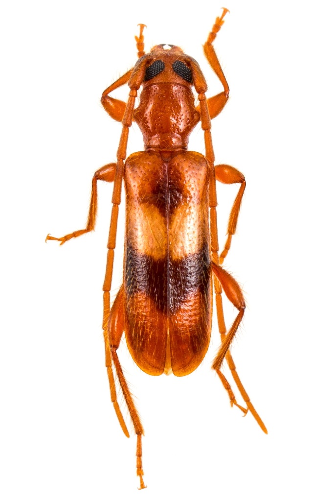
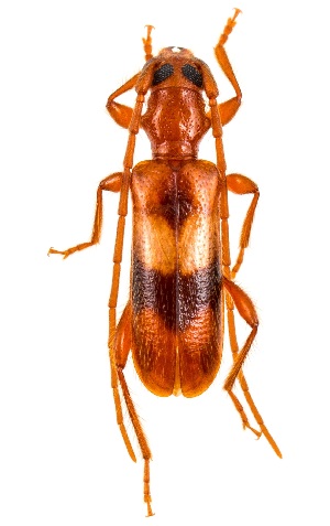
Obrium discoideum {species} - Arthropoda; Insecta; Coleoptera; Cerambycidae; Cerambycinae; Obriini; Obrium;

For the latest taxonomy data, visit boldsystems.org.

BOLD Stats

Specimen Records: 3 Public Records: 2
Specimens with Sequences: 1 Public Species: 1
Specimens with Barcodes: 0 Public BINs: 0
Species: 1          
Species With Barcodes: 0          
           

Contributors (Specimens & Sequencing)

Specimen Depositories: Sequencing Labs:
Depositories
Sequencing Labs

Imagery

images representing specimens of Obrium discoideum
 ( - CER-040)  @11 [ ] Unspecified (default): All Rights Reserved  Unspecified Unspecified  ( - CER-027)  @11 [ ] Unspecified (default): All Rights Reserved  Unspecified Unspecified  ( - UAIC1151418)  @11 [ ] Copyright  Salvador Vitanza Unspecified
  Sample ID:
UAIC1151418
  License:
Copyright 
  License Holder:
Salvador Vitanza, Unspecified

Collection Sites




Collected from 2 countries.
Top 20:
Show All Countries Expand List
Mexico2United States1