Neocompsa alacris {species} - Arthropoda; Insecta; Coleoptera; Cerambycidae; Cerambycinae; Tropidini; Neocompsa;

For the latest taxonomy data, visit boldsystems.org.

BOLD Stats

Specimen Records: 5 Public Records: 3
Specimens with Sequences: 5 Public Species: 1
Specimens with Barcodes: 3 Public BINs: 1
Species: 1          
Species With Barcodes: 1          
           

Contributors (Specimens & Sequencing)

Specimen Depositories: Sequencing Labs:
Depositories
Sequencing Labs

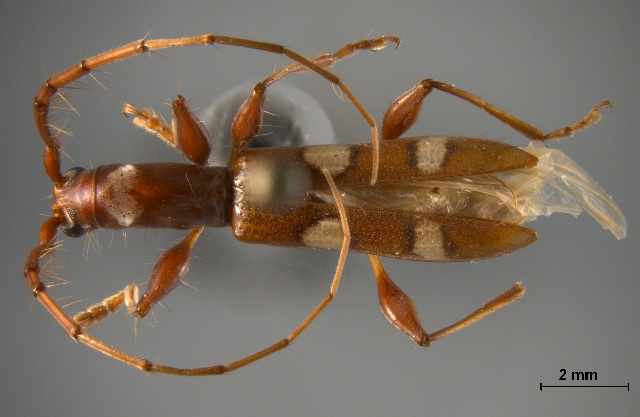
Imagery

images representing specimens of Neocompsa alacris
 ( - CER-037)  @14 [ ] Unspecified (default): All Rights Reserved  Unspecified Unspecified  ( - CCDB-34781-E08)  @11 [ ] CreativeCommons - Attribution (2019) Smithsonian Institution Smithsonian Institution  ( - CER-006)  @11 [ ] Unspecified (default): All Rights Reserved  Unspecified Unspecified
  Sample ID:
CER-006
  License:
Unspecified (default): All Rights Reserved 
  License Holder:
Unspecified

Collection Sites




Collected from 2 countries.
Top 20:
Show All Countries Expand List
Mexico2Guatemala1