Pennisetia fixseni fixseni {subspecies} - Arthropoda; Insecta; Lepidoptera; Sesiidae; Tinthiinae; Pennisetiini; Pennisetia; Pennisetia fixseni;

For the latest taxonomy data, visit boldsystems.org.

BOLD Stats

Specimen Records: 4 Public Records: 1
Specimens with Sequences: 2 Public Species: 0
Specimens with Barcodes: 1 Public BINs: 1
Species: 0          
Species With Barcodes: 0          
           

Contributors (Specimens & Sequencing)

Specimen Depositories: Sequencing Labs:
Depositories
Sequencing Labs

Imagery

images representing specimens of Pennisetia fixseni fixseni
 ( - CCDB-16702 C08)  @12 [ ] CreativeCommons - Attribution Non-Commercial Share-Alike (2012) T. Garrevoet Unspecified  ( - CCDB-04616 H01)  @11 [ ] CreativeCommons - Attribution Non-Commercial Share-Alike (2010) Sesiidae Research Group Sesiidae Research Group  ( - CCDB-14566 D04)  @11 [ ] CreativeCommons - Attribution Non-Commercial Share-Alike (2012) Sesiidae Research Group Unspecified
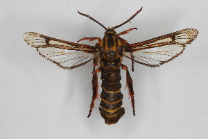
 ( - CCDB-04687 E12)  @11 [ ] CreativeCommons - Attribution Non-Commercial Share-Alike (2010) Sesiidae Research Group Sesiidae Research Group
  Sample ID:
CCDB-04687 E12
  License:
CreativeCommons - Attribution Non-Commercial Share-Alike (2010)
  License Holder:
Sesiidae Research Group

Collection Sites




Collected from 1 countries.
Top 20:
Show All Countries Expand List
Japan2