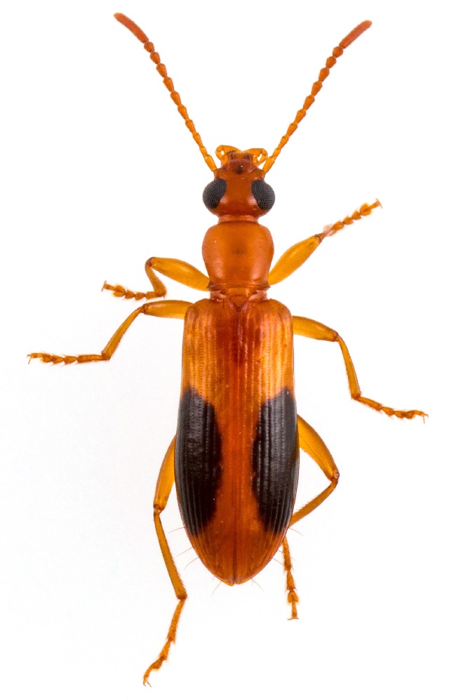
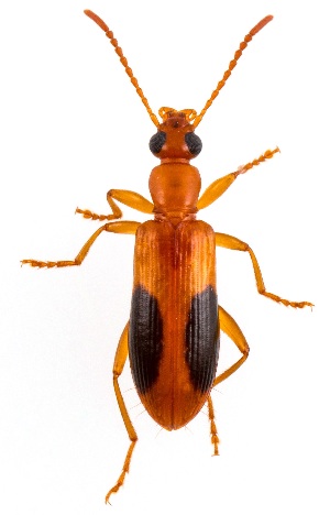
Statira nigromaculata {species} - Arthropoda; Insecta; Coleoptera; Tenebrionidae; Lagriinae; Lagriini; Statira;

For the latest taxonomy data, visit boldsystems.org.

BOLD Stats

Specimen Records: 5 Public Records: 2
Specimens with Sequences: 3 Public Species: 1
Specimens with Barcodes: 3 Public BINs: 1
Species: 1          
Species With Barcodes: 1          
           

Contributors (Specimens & Sequencing)

Specimen Depositories: Sequencing Labs:
Depositories
Sequencing Labs

Imagery

images representing specimens of Statira nigromaculata
 ( - CNC COLEO 00125137)  @14 [ ] CreativeCommons - Attribution (2011) CNC/CBG Photography Group Centre for Biodiversity Genomics  ( - CNC COLEO 00125139)  @13 [ ] CreativeCommons - Attribution (2011) CNC/CBG Photography Group Centre for Biodiversity Genomics  ( - CNC COLEO 00125138)  @11 [ ] CreativeCommons - Attribution (2011) CNC/CBG Photography Group Centre for Biodiversity Genomics
 ( - CNC COLEO 00125136)  @11 [ ] CreativeCommons - Attribution (2011) CNC/CBG Photography Group Centre for Biodiversity Genomics  ( - UAIC1151412)  @11 [ ] Copyright  Salvador Vitanza Unspecified
  Sample ID:
UAIC1151412
  License:
Copyright 
  License Holder:
Salvador Vitanza, Unspecified

Collection Sites




Collected from 1 countries.
Top 20:
Show All Countries Expand List
United States5