Polycyrtus gynnae {species} - Arthropoda; Insecta; Hymenoptera; Ichneumonidae; Cryptinae; Cryptini; Polycyrtus;

For the latest taxonomy data, visit boldsystems.org.

BOLD Stats

Specimen Records: 22 Public Records: 4
Specimens with Sequences: 21 Public Species: 1
Specimens with Barcodes: 20 Public BINs: 1
Species: 1          
Species With Barcodes: 1          
           

Contributors (Specimens & Sequencing)

Specimen Depositories: Sequencing Labs:
Depositories
Sequencing Labs

Imagery

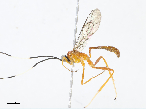
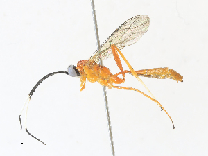
images representing specimens of Polycyrtus gynnae
 ( - INB0003959081)  @14 [ ] Copyright (2010) Ronald Zuniga Unspecified  ( - INB0003959798)  @14 [ ] Copyright (2010) Ronald Zuniga Unspecified  ( - INB0003117780)  @11 [ ] Copyright (2010) Ronald Zuniga Unspecified
 ( - INB0003535286)  @11 [ ] Copyright (2010) Ronald Zuniga Unspecified  ( - CBG-A36716-G10)  @11 [ ] CreativeCommons - Attribution Share - Alike (2024) CBG Photography Group Centre for Biodiversity Genomics  ( - CBG-B13788-D04)  @11 [ ] CreativeCommons - Attribution Share - Alike (2025) CBG Photography Group Centre for Biodiversity Genomics
 ( - CBG-B14791-E07)  @11 [ ] CreativeCommons - Attribution Share - Alike (2025) CBG Photography Group Centre for Biodiversity Genomics  ( - CBG-A33442-C12)  @11 [ ] CreativeCommons - Attribution Share - Alike (2024) CBG Photography Group Centre for Biodiversity Genomics  ( - CBG-A34324-D08)  @11 [ ] CreativeCommons - Attribution Share - Alike (2024) CBG Photography Group Centre for Biodiversity Genomics
 ( - CBG-A54418-B03)  @11 [ ] CreativeCommons - Attribution Share - Alike (2024) CBG Photography Group Centre for Biodiversity Genomics  ( - CBG-A54385-A01)  @11 [ ] CreativeCommons - Attribution Share - Alike (2024) CBG Photography Group Centre for Biodiversity Genomics  ( - CBG-A67913-A08)  @11 [ ] CreativeCommons - Attribution Share - Alike (2025) CBG Photography Group Centre for Biodiversity Genomics
 ( - CBG-A08728-C10)  @11 [ ] CreativeCommons - Attribution Share - Alike (2023) CBG Photography Group Centre for Biodiversity Genomics  ( - CBG-A31786-B12)  @11 [ ] CreativeCommons - Attribution Share-Alike (2024) CBG Photography Group Centre for Biodiversity Genomics  ( - CBG-A31761-A11)  @11 [ ] CreativeCommons - Attribution Share - Alike (2024) CBG Photography Group Centre for Biodiversity Genomics
 ( - CBG-A35189-D01)  @11 [ ] CreativeCommons - Attribution Share - Alike (2024) CBG Photography Group Centre for Biodiversity Genomics  ( - CBG-B12443-D05)  @11 [ ] CreativeCommons - Attribution Share - Alike (2025) CBG Photography Group Centre for Biodiversity Genomics  ( - CBG-A34307-C10)  @11 [ ] CreativeCommons - Attribution Share - Alike (2024) CBG Photography Group Centre for Biodiversity Genomics
 ( - CBG-A35189-C09)  @11 [ ] CreativeCommons - Attribution Share - Alike (2024) CBG Photography Group Centre for Biodiversity Genomics  ( - CBG-B14791-E06)  @11 [ ] CreativeCommons - Attribution Share - Alike (2025) CBG Photography Group Centre for Biodiversity Genomics
  Sample ID:
CBG-B14791-E06
  License:
CreativeCommons - Attribution Share - Alike (2025)
  License Holder:
CBG Photography Group, Centre for Biodiversity Genomics

Collection Sites




Collected from 1 countries.
Top 20:
Show All Countries Expand List
Costa Rica20