You've been logged out. Click
here
to log back in.
Log In
Log In
BOLD Systems
Databases
Taxonomy
Identification
Workbench
Resources
Latest Version
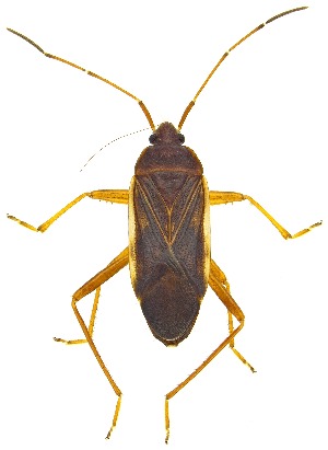
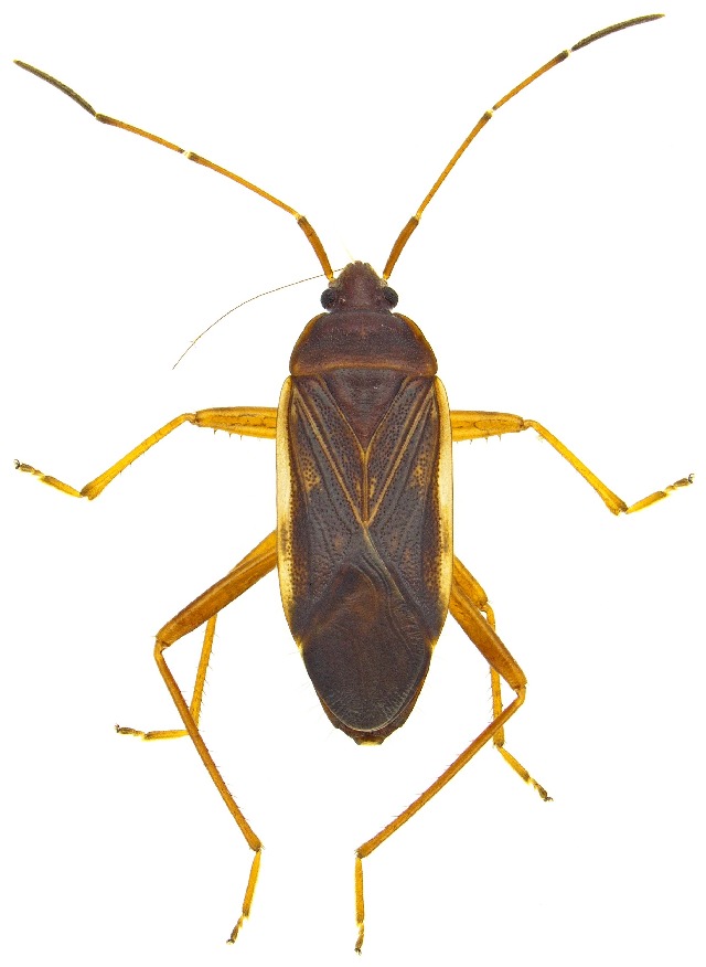
Balboa ampliata {species} -
Arthropoda
;
Insecta
;
Hemiptera
;
Rhyparochromidae
;
Rhyparochrominae
;
Ozophorini
;
Balboa
;
Print
For the latest taxonomy data, visit
boldsystems.org
.
Search Taxonomy
Sub-taxa
Taxon Description (Wikipedia)
full article at Wikipedia
BOLD Stats
Specimen Records:
3
Public Records:
0
Specimens with Sequences:
0
Public Species:
0
Specimens with Barcodes:
0
Public BINs:
0
Species:
1
Species With Barcodes:
0
Subspecies List - Progress
Access Published & Released Data
Contributors (Specimens & Sequencing)
Specimen Depositories:
Sequencing Labs:
Imagery
images representing specimens of Balboa ampliata
Sample ID:
UAIC1151331
License:
Copyright
License Holder:
Salvador Vitanza, Unspecified
Collection Sites
Collected from 1 countries.
Top 20:
Show All Countries
United States
3