You've been logged out. Click
here
to log back in.
Log In
Log In
BOLD Systems
Databases
Taxonomy
Identification
Workbench
Resources
Latest Version
Zabrops {genus} -
Arthropoda
;
Insecta
;
Diptera
;
Asilidae
;
Laphriinae
;
Print
For the latest taxonomy data, visit
boldsystems.org
.
Search Taxonomy
Sub-taxa
Species (2)
Zabrops thologaster [1]
Zabrops wilcoxi [2]
Taxon Description (Wikipedia)
full article at Wikipedia
BOLD Stats
Specimen Records:
5
Public Records:
3
Specimens with Sequences:
3
Public Species:
2
Specimens with Barcodes:
2
Public BINs:
1
Species:
2
Species With Barcodes:
1
Species List - Progress
Access Published & Released Data
Contributors (Specimens & Sequencing)
Specimen Depositories:
Sequencing Labs:
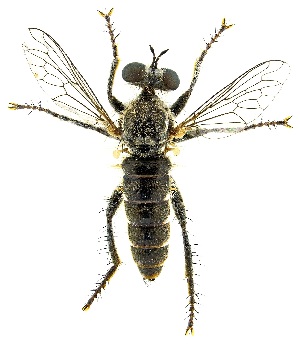
Imagery
images representing subtaxa of Zabrops
(
Zabrops wilcoxi
)
Sample ID:
10-SKAS-331
License:
CreativeCommons - Attribution (2010)
License Holder:
Unspecified, Centre for Biodiversity Genomics
Collection Sites
Collected from 2 countries.
Top 20:
Show All Countries
United States
4
Mexico
1