Pristiphora malaisei {species} - Arthropoda; Insecta; Hymenoptera; Tenthredinidae; Nematinae; Pristiphora;

For the latest taxonomy data, visit boldsystems.org.

BOLD Stats

Specimen Records: 40 Public Records: 10
Specimens with Sequences: 18 Public Species: 1
Specimens with Barcodes: 11 Public BINs: 2
Species: 1          
Species With Barcodes: 1          
           

Contributors (Specimens & Sequencing)

Specimen Depositories: Sequencing Labs:
Depositories
Sequencing Labs

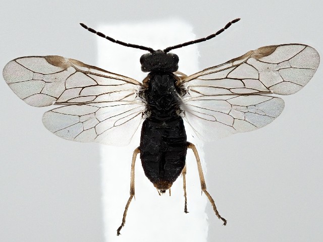
Imagery

images representing specimens of Pristiphora malaisei
 ( - CCDB-34063-F04)  @12 [ ] CreativeCommons - Attribution (2019) Smithsonian Institution Smithsonian Institution  ( - ZMUO.058326)  @11 [ ] by-nc (2022) Marko Mutanen University of Oulu  ( - ZMUO.042072)  @11 [ ] by-nc (2021) Marko Mutanen University of Oulu
 ( - ZMUO.042071)  @11 [ ] by-nc (2021) Marko Mutanen University of Oulu  ( - DEI-GISHym20579)  @11 [ ] Copyright (2014) Senckenberg DEI Senckenberg DEI  ( - DEI-GISHym20432)  @11 [ ] Copyright (2012) Senckenberg Deutsches Entomologisches Institut Senckenberg Deutsches Entomologisches Institut
 ( - DEI-GISHym20432)  @11 [ ] Copyright (2012) Senckenberg Deutsches Entomologisches Institut Senckenberg Deutsches Entomologisches Institut  ( - CCDB-34063-F03)  @11 [ ] CreativeCommons - Attribution (2019) Smithsonian Institution Smithsonian Institution  ( - ZMUO.058535)  @11 [ ] by-nc (2022) Marko Mutanen University of Oulu
 ( - ZMUO.058325)  @11 [ ] by-nc (2022) Marko Mutanen University of Oulu  ( - bf-sym-00434)  @11 [ ] CreativeCommons - Attribution Share-Alike (2017) Lønnve, O.J BioFokus  ( - ZMUO.038850)  @11 [ ] by-nc (2020) Marko Mutanen University of Oulu
 ( - ZMUO.038849)  @11 [ ] by-nc (2020) Marko Mutanen University of Oulu  ( - ZMUO.038848)  @11 [ ] by-nc (2020) Marko Mutanen University of Oulu  ( - ZMUO.033810)  @11 [ ] CreativeCommons - Attribution Non-Commercial (2018) Marko Mutanen University of Oulu
 ( - ZMUO.033809)  @11 [ ] CreativeCommons - Attribution Non-Commercial (2018) Marko Mutanen University of Oulu  ( - GL.3129)  @11 [ ] CreativeCommons - Attribution Non-Commercial (2014) Marko Mutanen University of Oulu  ( - GL.3130)  @11 [ ] CreativeCommons - Attribution Non-Commercial (2014) Marko Mutanen University of Oulu
 ( - DEI-GISHym20586)  @11 [ ] Copyright (2014) Senckenberg DEI Senckenberg DEI  ( - DEI-GISHym20580)  @11 [ ] Copyright (2014) Senckenberg DEI Senckenberg DEI  ( - ZMUO.062972)  @11 [ ] by-nc (2023) Marko Mutanen University of Oulu
  Sample ID:
ZMUO.062972
  License:
by-nc (2023)
  License Holder:
Marko Mutanen, University of Oulu

Collection Sites




Collected from 1 countries.
Top 20:
Show All Countries Expand List
Sweden4