Nematus lonicerae {species} - Arthropoda; Insecta; Hymenoptera; Tenthredinidae; Nematinae; Nematus;

For the latest taxonomy data, visit boldsystems.org.

BOLD Stats

Specimen Records: 6 Public Records: 3
Specimens with Sequences: 5 Public Species: 1
Specimens with Barcodes: 5 Public BINs: 1
Species: 1          
Species With Barcodes: 1          
           

Contributors (Specimens & Sequencing)

Specimen Depositories: Sequencing Labs:
Depositories
Sequencing Labs

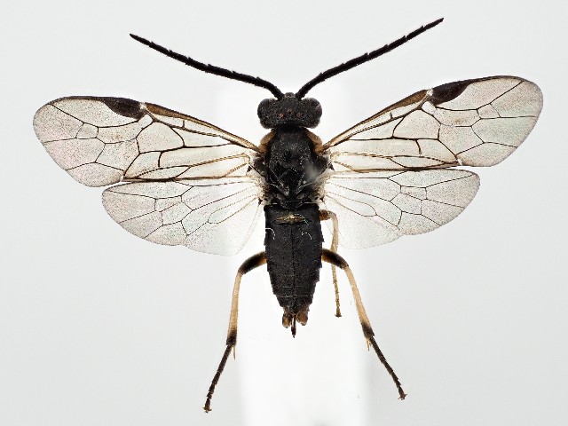
Imagery

images representing specimens of Nematus lonicerae
 ( - ZMUO.061501)  @11 [ ] by-nc (2022) Marko Mutanen University of Oulu  ( - ZMUO.041938)  @11 [ ] by-nc (2021) Marko Mutanen University of Oulu  ( - MZH_NG.1538)  @11 [ ] by-nc (2021) Marko Mutanen University of Oulu
  Sample ID:
MZH_NG.1538
  License:
by-nc (2021)
  License Holder:
Marko Mutanen, University of Oulu

Collection Sites




Collected from 1 countries.
Top 20:
Show All Countries Expand List
Austria1