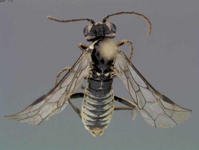
Aglaostigma pingue {species} - Arthropoda; Insecta; Hymenoptera; Tenthredinidae; Tenthredininae; Aglaostigma;

For the latest taxonomy data, visit boldsystems.org.

BOLD Stats

Specimen Records: 15 Public Records: 10
Specimens with Sequences: 7 Public Species: 1
Specimens with Barcodes: 3 Public BINs: 1
Species: 1          
Species With Barcodes: 1          
           

Contributors (Specimens & Sequencing)

Specimen Depositories: Sequencing Labs:
Depositories
Sequencing Labs

Imagery

images representing specimens of Aglaostigma pingue
 ( - BC ZSM HYM 09435)  @14 [ ] CreativeCommons - Attribution Non-Commercial Share-Alike (2010) Stefan Schmidt SNSB, Zoologische Staatssammlung Muenchen  ( - BC ZSM HYM 09433)  @13 [ ] CreativeCommons - Attribution Non-Commercial Share-Alike (2010) Stefan Schmidt SNSB, Zoologische Staatssammlung Muenchen  ( - BC ZSM HYM 10750)  @13 [ ] CreativeCommons - Attribution Non-Commercial Share-Alike (2011) Stefan Schmidt SNSB, Zoologische Staatssammlung Muenchen
 ( - DEI-GISHym11270)  @13 [ ] Copyright (2011) Senckenberg Deutsches Entomologisches Institut Senckenberg Deutsches Entomologisches Institut  ( - BC ZSM HYM 09434)  @12 [ ] CreativeCommons - Attribution Non-Commercial Share-Alike (2010) Stefan Schmidt SNSB, Zoologische Staatssammlung Muenchen  ( - BC ZSM HYM 10751)  @12 [ ] CreativeCommons - Attribution Non-Commercial Share-Alike (2011) Stefan Schmidt SNSB, Zoologische Staatssammlung Muenchen
 ( - DEI-GISHym11270)  @12 [ ] Copyright (2011) Senckenberg Deutsches Entomologisches Institut Senckenberg Deutsches Entomologisches Institut  ( - BC ZSM HYM 04260)  @11 [ ] CreativeCommons - Attribution Non-Commercial Share-Alike (2010) Stefan Schmidt SNSB, Zoologische Staatssammlung Muenchen  ( - BC ZSM HYM 04261)  @11 [ ] CreativeCommons - Attribution Non-Commercial Share-Alike (2010) Stefan Schmidt SNSB, Zoologische Staatssammlung Muenchen
 ( - BC ZSM HYM 04262)  @11 [ ] CreativeCommons - Attribution Non-Commercial Share-Alike (2010) Stefan Schmidt SNSB, Zoologische Staatssammlung Muenchen  ( - DEI-GISHym11269)  @11 [ ] Copyright (2011) Senckenberg Deutsches Entomologisches Institut Senckenberg Deutsches Entomologisches Institut  ( - DEI-GISHym11269)  @11 [ ] Copyright (2011) Senckenberg Deutsches Entomologisches Institut Senckenberg Deutsches Entomologisches Institut
  Sample ID:
DEI-GISHym11269
  License:
Copyright (2011)
  License Holder:
Senckenberg Deutsches Entomologisches Institut

Collection Sites




Collected from 4 countries.
Top 20:
Show All Countries Expand List
Italy4Switzerland2
Germany2Austria1