Odontoloxozus longicornis {species} - Arthropoda; Insecta; Diptera; Neriidae; Neriinae; Odontoloxozus;

For the latest taxonomy data, visit boldsystems.org.

BOLD Stats

Specimen Records: 41 Public Records: 28
Specimens with Sequences: 39 Public Species: 1
Specimens with Barcodes: 39 Public BINs: 1
Species: 1          
Species With Barcodes: 1          
           

Contributors (Specimens & Sequencing)

Specimen Depositories: Sequencing Labs:
Depositories
Sequencing Labs

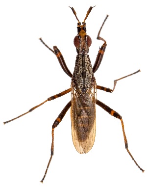
Imagery

images representing specimens of Odontoloxozus longicornis
 ( - BFIB-0146)  @11 [ ] Unspecified (default): All Rights Reserved  Unspecified Unspecified  ( - CBG-B07477-B03)  @11 [ ] CreativeCommons - Attribution Share - Alike (2025) CBG Photography Group Centre for Biodiversity Genomics  ( - CCDB-29868-G04)  @11 [ ] creative commons – non-commercial only (2018) Servicio Nacional de Sanidad Agraria del Peru Servicio Nacional de Sanidad Agraria del Peru
 ( - CCDB-29868-G05)  @11 [ ] creative commons – non-commercial only (2018) Servicio Nacional de Sanidad Agraria del Peru Servicio Nacional de Sanidad Agraria del Peru  ( - UAIC1139865)  @11 [ ] Copyright  Salvador Vitanza Unspecified  ( - CBG-B21615-G01)  @11 [ ] CreativeCommons - Attribution Share - Alike (2025) CBG Photography Group Centre for Biodiversity Genomics
 ( - CBG-B00906-A11)  @11 [ ] CreativeCommons - Attribution Share - Alike (2025) CBG Photography Group Centre for Biodiversity Genomics  ( - CBG-B00485-A11)  @11 [ ] CreativeCommons - Attribution Share - Alike (2025) CBG Photography Group Centre for Biodiversity Genomics  ( - CBG-B22926-C08)  @11 [ ] CreativeCommons - Attribution Share - Alike (2025) CBG Photography Group Centre for Biodiversity Genomics
  Sample ID:
CBG-B22926-C08
  License:
CreativeCommons - Attribution Share - Alike (2025)
  License Holder:
CBG Photography Group, Centre for Biodiversity Genomics

Collection Sites




Collected from 5 countries.
Top 20:
Show All Countries Expand List
Mexico11Argentina5Brazil1
United States7Peru2