Gerris argentatus {species} - Arthropoda; Insecta; Hemiptera; Gerridae; Gerrinae; Gerrini; Gerris;

For the latest taxonomy data, visit boldsystems.org.

BOLD Stats

Specimen Records: 86 Public Records: 41
Specimens with Sequences: 56 Public Species: 1
Specimens with Barcodes: 52 Public BINs: 1
Species: 1          
Species With Barcodes: 1          
           

Contributors (Specimens & Sequencing)

Specimen Depositories: Sequencing Labs:
Depositories
Sequencing Labs

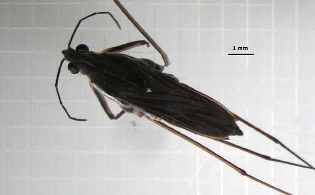
Imagery

images representing specimens of Gerris argentatus
 ( - DZMB_HET_0546)  @13 [ ] CreativeCommons - Attribution Non-Commercial Share-Alike (2016) Nadine Lange DZMB / Senckenberg am Meer  ( - BC ZSM AQU 00204)  @12 [ ] CreativeCommons - Attribution Non-Commercial Share-Alike (2010) SNSB, Zoologische Staatssammlung Muenchen SNSB, Zoologische Staatssammlung Muenchen  ( - TR00130)  @12 [ ] Unspecified (default): All Rights Reserved (2011) T.Rintala Finnish Environment Institute
 ( - DZMB_HET_0664)  @12 [ ] CreativeCommons - Attribution Non-Commercial Share-Alike (2016) Nadine Lange Carl von Ossietzky University  ( - DZMB_HET_0665)  @12 [ ] CreativeCommons - Attribution Non-Commercial Share-Alike (2016) Nadine Lange Carl von Ossietzky University  ( - DZMB_HET_0580)  @12 [ ] CreativeCommons - Attribution Non-Commercial Share-Alike (2016) Nadine Lange DZMB / Senckenberg am Meer
 ( - DZMB_HET_0581)  @12 [ ] CreativeCommons - Attribution Non-Commercial Share-Alike (2016) Nadine Lange DZMB / Senckenberg am Meer  ( - DZMB_HET_0583)  @12 [ ] CreativeCommons - Attribution Non-Commercial Share-Alike (2016) Nadine Lange DZMB / Senckenberg am Meer  ( - ABOL-24-2172)  @11 [ ] Unspecified (default): All Rights Reserved (2025) Naturhistorisches Museum Wien Unspecified
 ( - ABOL-24-2172)  @11 [ ] Unspecified (default): All Rights Reserved (2025) Naturhistorisches Museum Wien Unspecified  ( - ABOL-25-1196)  @11 [ ] Unspecified (default): All Rights Reserved (2025) Naturhistorisches Museum Wien Unspecified  ( - ABOL-25-1196)  @11 [ ] Unspecified (default): All Rights Reserved (2025) Naturhistorisches Museum Wien Unspecified
 ( - ZMUO.030779)  @11 [ ] CreativeCommons - Attribution Non-Commercial (2017) Marko Mutanen University of Oulu  ( - ZMUO.030780)  @11 [ ] CreativeCommons - Attribution Non-Commercial (2017) Marko Mutanen University of Oulu  ( - ZMUO.030781)  @11 [ ] CreativeCommons - Attribution Non-Commercial (2017) Marko Mutanen University of Oulu
 ( - EUBUG_1357_f_Gerrarge1)  @11 [ ] Unspecified (default): All Rights Reserved  Unspecified Unspecified  ( - RMNH.INS.542001)  @11 [ ] CreativeCommons - Attribution Non-Commercial Share-Alike (2013) Unspecified Naturalis Biodiversity Center  ( - RMNH.INS.545046)  @11 [ ] CreativeCommons - Attribution Non-Commercial Share-Alike (2013) Unspecified Naturalis Biodiversity Center
 ( - RMNH.INS.536757)  @11 [ ] CreativeCommons - Attribution Non-Commercial Share-Alike (2013) Unspecified Naturalis Biodiversity Center  ( - HET_TOY_14.1)  @11 [ ] CreativeCommons Attribution NonCommercial ShareAlike (2021) (2021) University of Lodz Unspecified  ( - HET_TOY_14.3)  @11 [ ] CreativeCommons Attribution NonCommercial ShareAlike (2021) (2021) University of Lodz Unspecified
  Sample ID:
HET_TOY_14.3
  License:
CreativeCommons Attribution NonCommercial ShareAlike (2021) (2021)
  License Holder:
University of Lodz, Unspecified

Collection Sites




Collected from 7 countries.
Top 20:
Show All Countries Expand List
Germany39Netherlands4Norway1
Austria7France2
Romania7Finland1