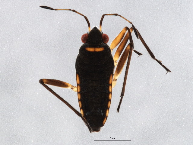
Collected from 17 countries. Top 20:
Show All Countries  |
Ghana | 70 | Netherlands | 11 | Georgia | 1 | Germany | 34 | Austria | 7 | Kenya | 1 | Australia | 31 | Costa Rica | 5 | United Kingdom | 1 | Canada | 30 | Cameroon | 2 | Norway | 1 | United States | 19 | Romania | 2 | Madagascar | 1 | Colombia | 14 | Malaysia | 1 | | |
|