Megalopaussus {genus} - Arthropoda; Insecta; Coleoptera; Carabidae; Paussinae; Paussini;

For the latest taxonomy data, visit boldsystems.org.

BOLD Stats

Specimen Records: 1 Public Records: 0
Specimens with Sequences: 0 Public Species: 0
Specimens with Barcodes: 0 Public BINs: 0
Species: 1          
Species With Barcodes: 0          
           

Contributors (Specimens & Sequencing)

Specimen Depositories: Sequencing Labs:
Depositories

Imagery

images representing subtaxa of Megalopaussus
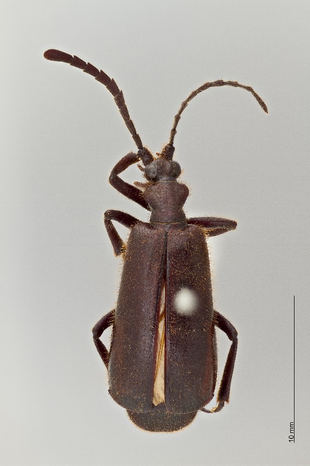
 (Megalopaussus amplipennis - DNA6226)  @11 [ ] CreativeCommons - Attribution Share-Alike (2025) Wendy Moore University of Arizona, Insect Collection
  Sample ID:
DNA6226
  License:
CreativeCommons - Attribution Share-Alike (2025)
  License Holder:
Wendy Moore, University of Arizona, Insect Collection

Collection Sites




Collected from 0 countries.
Top 20:
Show All Countries Expand List