Afrorogas copelandi {species} - Arthropoda; Insecta; Hymenoptera; Braconidae; Rogadinae; Afrorogas;

For the latest taxonomy data, visit boldsystems.org.

BOLD Stats

Specimen Records: 4 Public Records: 0
Specimens with Sequences: 4 Public Species: 0
Specimens with Barcodes: 4 Public BINs: 0
Species: 1          
Species With Barcodes: 1          
           

Contributors (Specimens & Sequencing)

Specimen Depositories: Sequencing Labs:
Depositories
Sequencing Labs

Imagery

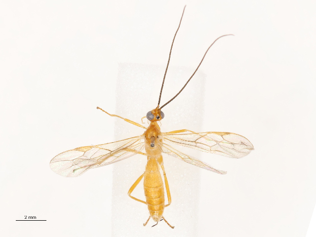
images representing specimens of Afrorogas copelandi
 ( - CBG-B07585-E11)  @11 [ ] CreativeCommons - Attribution Share - Alike (2025) CBG Photography Group Centre for Biodiversity Genomics  ( - CBG-B04138-E09)  @11 [ ] CreativeCommons - Attribution Share - Alike (2025) CBG Photography Group Centre for Biodiversity Genomics
  Sample ID:
CBG-B04138-E09
  License:
CreativeCommons - Attribution Share - Alike (2025)
  License Holder:
CBG Photography Group, Centre for Biodiversity Genomics

Collection Sites




Collected from 2 countries.
Top 20:
Show All Countries Expand List
Kenya2Ghana2