cryptJanzen01 Malaise3104 {species} - Arthropoda; Insecta; Hymenoptera; Ichneumonidae; Cryptinae; cryptJanzen01;

For the latest taxonomy data, visit boldsystems.org.

BOLD Stats

Specimen Records: 7 Public Records: 2
Specimens with Sequences: 7 Public Species: 1
Specimens with Barcodes: 7 Public BINs: 1
Species: 1          
Species With Barcodes: 1          
           

Contributors (Specimens & Sequencing)

Specimen Depositories: Sequencing Labs:
Depositories
Sequencing Labs

Imagery

images representing specimens of cryptJanzen01 Malaise3104
 ( - CBG-A67912-G09)  @11 [ ] CreativeCommons - Attribution Share - Alike (2025) CBG Photography Group Centre for Biodiversity Genomics  ( - CBG-A00357-G04)  @11 [ ] CreativeCommons - Attribution (2023) CBG Photography Group Centre for Biodiversity Genomics  ( - BIOUG76553-G06)  @11 [ ] CreativeCommons - Attribution (2022) CBG Photography Group Centre for Biodiversity Genomics
 ( - CBG-A67876-G06)  @11 [ ] CreativeCommons - Attribution Share - Alike (2025) CBG Photography Group Centre for Biodiversity Genomics  ( - CBG-A67871-F06)  @11 [ ] CreativeCommons - Attribution Share - Alike (2025) CBG Photography Group Centre for Biodiversity Genomics  ( - CBG-A72927-A06)  @11 [ ] CreativeCommons - Attribution Share - Alike (2025) CBG Photography Group Centre for Biodiversity Genomics
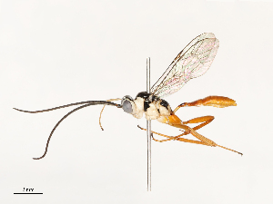
 ( - CBG-B13889-A09)  @11 [ ] CreativeCommons - Attribution Share - Alike (2025) CBG Photography Group Centre for Biodiversity Genomics
  Sample ID:
CBG-B13889-A09
  License:
CreativeCommons - Attribution Share - Alike (2025)
  License Holder:
CBG Photography Group, Centre for Biodiversity Genomics

Collection Sites




Collected from 1 countries.
Top 20:
Show All Countries Expand List
Costa Rica7