Dragonana dracontea {species} - Arthropoda; Insecta; Hemiptera; Cicadellidae; Iassinae; Gyponini; Dragonana;

For the latest taxonomy data, visit boldsystems.org.

BOLD Stats

Specimen Records: 4 Public Records: 3
Specimens with Sequences: 4 Public Species: 1
Specimens with Barcodes: 4 Public BINs: 1
Species: 1          
Species With Barcodes: 1          
           

Contributors (Specimens & Sequencing)

Specimen Depositories: Sequencing Labs:
Depositories
Sequencing Labs

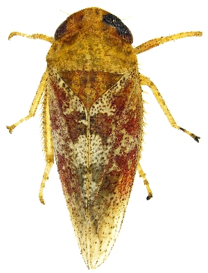
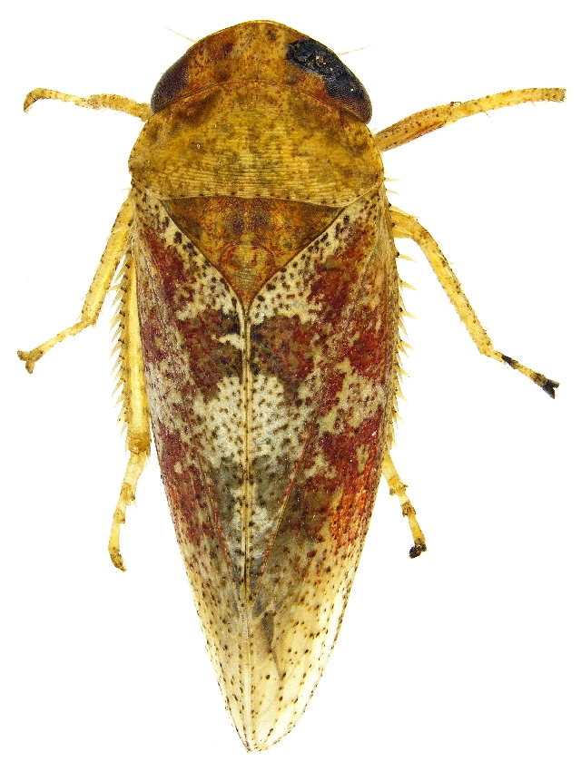
Imagery

images representing specimens of Dragonana dracontea
 ( - CNC#HEM401220)  @14 [ ] CreativeCommons - Attribution (2011) CNC/CBG Photography Group Centre for Biodiversity Genomics  ( - CNC#HEM401217)  @13 [ ] CreativeCommons - Attribution (2011) CNC/CBG Photography Group Centre for Biodiversity Genomics  ( - CNC#HEM401218)  @12 [ ] CreativeCommons - Attribution (2011) CNC/CBG Photography Group Centre for Biodiversity Genomics
 ( - UAIC1139355)  @11 [ ] Copyright  Salvador Vitanza Unspecified
  Sample ID:
UAIC1139355
  License:
Copyright 
  License Holder:
Salvador Vitanza, Unspecified

Collection Sites




Collected from 1 countries.
Top 20:
Show All Countries Expand List
United States4