Cletomorpha benita {species} - Arthropoda; Insecta; Hemiptera; Coreidae; Coreinae; Gonocerini; Cletomorpha;

For the latest taxonomy data, visit boldsystems.org.

BOLD Stats

Specimen Records: 2 Public Records: 1
Specimens with Sequences: 2 Public Species: 1
Specimens with Barcodes: 2 Public BINs: 1
Species: 1          
Species With Barcodes: 1          
           

Contributors (Specimens & Sequencing)

Specimen Depositories: Sequencing Labs:
Depositories
Sequencing Labs

Imagery

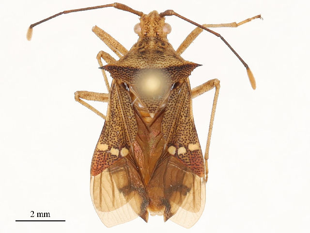
images representing specimens of Cletomorpha benita
 ( - CBG-B00175-F10)  @11 [ ] CreativeCommons - Attribution Share - Alike (2025) CBG Photography Group Centre for Biodiversity Genomics
  Sample ID:
CBG-B00175-F10
  License:
CreativeCommons - Attribution Share - Alike (2025)
  License Holder:
CBG Photography Group, Centre for Biodiversity Genomics

Collection Sites




Collected from 1 countries.
Top 20:
Show All Countries Expand List
Bangladesh1