Ganocapsus filiformis {species} - Arthropoda; Insecta; Hemiptera; Miridae; Mirinae; Mirini; Ganocapsus;

For the latest taxonomy data, visit boldsystems.org.

BOLD Stats

Specimen Records: 3 Public Records: 1
Specimens with Sequences: 2 Public Species: 1
Specimens with Barcodes: 2 Public BINs: 1
Species: 1          
Species With Barcodes: 1          
           

Contributors (Specimens & Sequencing)

Specimen Depositories: Sequencing Labs:
Depositories
Sequencing Labs

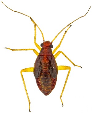
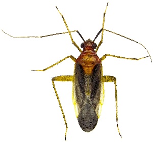
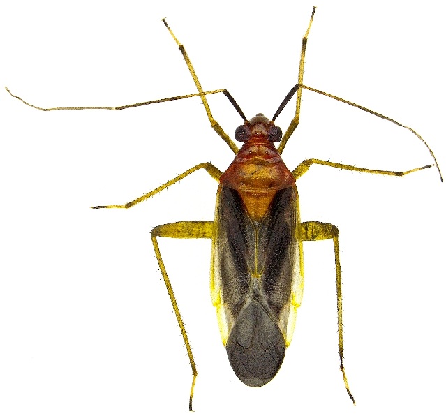
Imagery

images representing specimens of Ganocapsus filiformis
 ( - UAIC1135553)  @11 [ ] by (2021) Wendy Moore University of Arizona Insect Collection  ( - UAIC1159642)  @11 [ ] Copyright  Salvador Vitanza Unspecified  ( - UAIC1139605)  @11 [ ] Copyright  Salvador Vitanza Unspecified
  Sample ID:
UAIC1139605
  License:
Copyright 
  License Holder:
Salvador Vitanza, Unspecified

Collection Sites




Collected from 1 countries.
Top 20:
Show All Countries Expand List
United States3