Netelia Malaise5353 {species} - Arthropoda; Insecta; Hymenoptera; Ichneumonidae; Tryphoninae; Netelia;

For the latest taxonomy data, visit boldsystems.org.

BOLD Stats

Specimen Records: 4 Public Records: 3
Specimens with Sequences: 4 Public Species: 1
Specimens with Barcodes: 4 Public BINs: 1
Species: 1          
Species With Barcodes: 1          
           

Contributors (Specimens & Sequencing)

Specimen Depositories: Sequencing Labs:
Depositories
Sequencing Labs

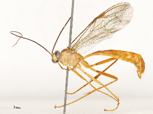
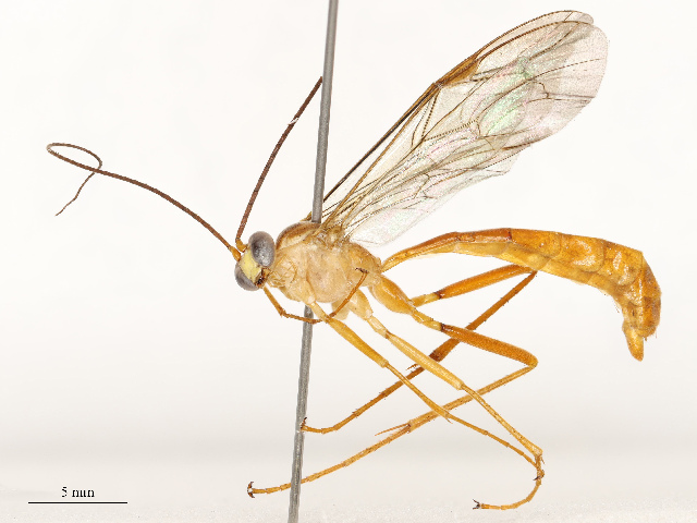
Imagery

images representing specimens of Netelia Malaise5353
 ( - BIOUG55334-E10)  @11 [ ] CreativeCommons - Attribution (2020) CBG Photography Group Centre for Biodiversity Genomics  ( - CBG-B13896-E04)  @11 [ ] CreativeCommons - Attribution Share - Alike (2025) CBG Photography Group Centre for Biodiversity Genomics
  Sample ID:
CBG-B13896-E04
  License:
CreativeCommons - Attribution Share - Alike (2025)
  License Holder:
CBG Photography Group, Centre for Biodiversity Genomics

Collection Sites




Collected from 1 countries.
Top 20:
Show All Countries Expand List
Costa Rica4