Euura dolichura {species} - Arthropoda; Insecta; Hymenoptera; Tenthredinidae; Nematinae; Euura;

For the latest taxonomy data, visit boldsystems.org.

BOLD Stats

Specimen Records: 27 Public Records: 22
Specimens with Sequences: 25 Public Species: 1
Specimens with Barcodes: 25 Public BINs: 1
Species: 1          
Species With Barcodes: 1          
           

Contributors (Specimens & Sequencing)

Specimen Depositories: Sequencing Labs:
Depositories
Sequencing Labs

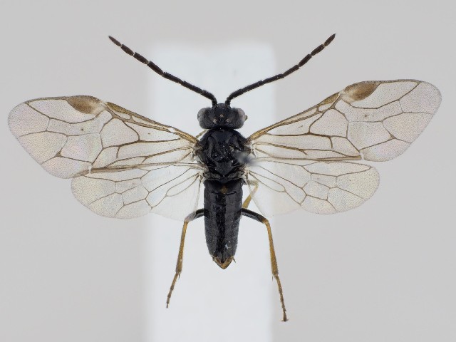
Imagery

images representing specimens of Euura dolichura
 ( - DEI-GISHym4997)  @13 [ ] Copyright (2010) Senckenberg Deutsches Entomologisches Institut Senckenberg Deutsches Entomologisches Institut  ( - DEI-GISHym4997)  @12 [ ] Copyright (2010) Senckenberg Deutsches Entomologisches Institut Senckenberg Deutsches Entomologisches Institut  ( - DEI-GISHym20516)  @12 [ ] Copyright (2013) Senckenberg DEI Senckenberg DEI
 ( - DEI-GISHym20514)  @12 [ ] Copyright (2013) Senckenberg DEI Senckenberg DEI  ( - DEI-GISHym20517)  @12 [ ] Copyright (2013) Senckenberg DEI Senckenberg DEI  ( - DEI-GISHym20515)  @12 [ ] Copyright (2013) Senckenberg DEI Senckenberg DEI
 ( - DEI-GISHym20519)  @12 [ ] Copyright (2013) Senckenberg DEI Senckenberg DEI  ( - DEI-GISHym20513)  @12 [ ] Copyright (2013) Senckenberg DEI Senckenberg DEI  ( - DEI-GISHym20518)  @12 [ ] Copyright (2013) Senckenberg DEI Senckenberg DEI
 ( - 201225_EAA)  @11 [ ] by-nc-sa (2021) Unspecified Norwegian Institute of Bioeconomy Research  ( - ZMUO.044198)  @11 [ ] by-nc (2021) Marko Mutanen University of Oulu  ( - ZMUO.044199)  @11 [ ] by-nc (2021) Marko Mutanen University of Oulu
 ( - ZMUO.044200)  @11 [ ] by-nc (2021) Marko Mutanen University of Oulu  ( - ZMUO.044204)  @11 [ ] by-nc (2021) Marko Mutanen University of Oulu  ( - ZMUO.044205)  @11 [ ] by-nc (2021) Marko Mutanen University of Oulu
 ( - ZMUO.044206)  @11 [ ] by-nc (2021) Marko Mutanen University of Oulu  ( - ZMUO.044207)  @11 [ ] by-nc (2021) Marko Mutanen University of Oulu  ( - ZMUO.044208)  @11 [ ] by-nc (2021) Marko Mutanen University of Oulu
 ( - ZMUO.044308)  @11 [ ] by-nc (2021) Marko Mutanen University of Oulu  ( - ZMUO.044202)  @11 [ ] by-nc (2021) Marko Mutanen University of Oulu  ( - ZMUO.044309)  @11 [ ] by-nc (2021) Marko Mutanen University of Oulu
  Sample ID:
ZMUO.044309
  License:
by-nc (2021)
  License Holder:
Marko Mutanen, University of Oulu

Collection Sites




Collected from 4 countries.
Top 20:
Show All Countries Expand List
Sweden5United Kingdom1
France2Norway1