Ameletus tertius {species} - Arthropoda; Insecta; Ephemeroptera; Ameletidae; Ameletus;

For the latest taxonomy data, visit boldsystems.org.

BOLD Stats

Specimen Records: 37 Public Records: 13
Specimens with Sequences: 32 Public Species: 1
Specimens with Barcodes: 31 Public BINs: 2
Species: 1          
Species With Barcodes: 1          
           

Contributors (Specimens & Sequencing)

Specimen Depositories: Sequencing Labs:
Depositories
Sequencing Labs

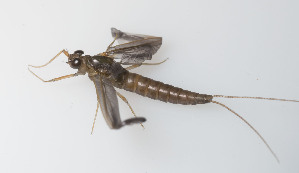
Imagery

images representing specimens of Ameletus tertius
 ( - 10HIMXD-0260)  @13 [ ] Unspecified (default): All Rights Reserved  Unspecified Unspecified  ( - HIEPT-1120)  @13 [ ] Unspecified (default): All Rights Reserved  Unspecified Unspecified  ( - HIEPT-1170)  @12 [ ] Unspecified (default): All Rights Reserved  Unspecified Unspecified
 ( - 10HIMXD-0097)  @12 [ ] Unspecified (default): All Rights Reserved  Unspecified Unspecified  ( - 10HIMXD-0098)  @12 [ ] Unspecified (default): All Rights Reserved  Unspecified Unspecified  ( - SWRC-Ate Pin 01)  @11 [ ] Copyright (c) (2021) David H. Funk Stroud Water Research Center
 ( - SWRC-Asp3 01)  @11 [ ] Copyright (c) (2021) David H. Funk Stroud Water Research Center  ( - SWRC-Asp3 02)  @11 [ ] Copyright (c) (2021) David H. Funk Stroud Water Research Center  ( - SWRC-Asp3_04)  @11 [ ] Copyright (c) (2023) David H. Funk Stroud Water Research Center
 ( - SWRC-Ate_Wil_04)  @11 [ ] Copyright (c) (2023) David H. Funk Stroud Water Research Center  ( - SWRC-As Nev 07)  @11 [ ] Copyright (2016) David H. Funk Stroud Water Research Center  ( - SWRC-As Nev 05)  @11 [ ] Copyright (2016) David H. Funk Stroud Water Research Center
 ( - SWRC-As Nev 02)  @11 [ ] Copyright (c) (2021) David H. Funk Stroud Water Research Center  ( - SWRC-Ate Pin 02)  @11 [ ] Copyright (c) (2021) David H. Funk Stroud Water Research Center  ( - SWRC-As EB 01)  @11 [ ] Copyright (c) (2021) David H. Funk Stroud Water Research Center
 ( - SWRC-As Nev 05.rerun)  @11 [ ] Copyright (c) (2021) David H. Funk Stroud Water Research Center  ( - SWRC-Ate_Sauc_01)  @11 [ ] Copyright (c) (2023) David H. Funk Stroud Water Research Center  ( - SWRC-Asp3_03)  @11 [ ] Copyright (c) (2023) David H. Funk Stroud Water Research Center
 ( - SWRC-Asp3_05)  @11 [ ] Copyright (c) (2023) David H. Funk Stroud Water Research Center  ( - SWRC-Asp3_Gin_01)  @11 [ ] Copyright (c) (2023) David H. Funk Stroud Water Research Center
  Sample ID:
SWRC-Asp3_Gin_01
  License:
Copyright (c) (2023)
  License Holder:
David H. Funk, Stroud Water Research Center

Collection Sites




Collected from 1 countries.
Top 20:
Show All Countries Expand List
United States37