Rhopalophora meeskei {species} - Arthropoda; Insecta; Coleoptera; Cerambycidae; Cerambycinae; Rhopalophorini; Rhopalophora;

For the latest taxonomy data, visit boldsystems.org.

BOLD Stats

Specimen Records: 4 Public Records: 3
Specimens with Sequences: 3 Public Species: 1
Specimens with Barcodes: 1 Public BINs: 1
Species: 1          
Species With Barcodes: 1          
           

Contributors (Specimens & Sequencing)

Specimen Depositories: Sequencing Labs:
Depositories
Sequencing Labs

Imagery

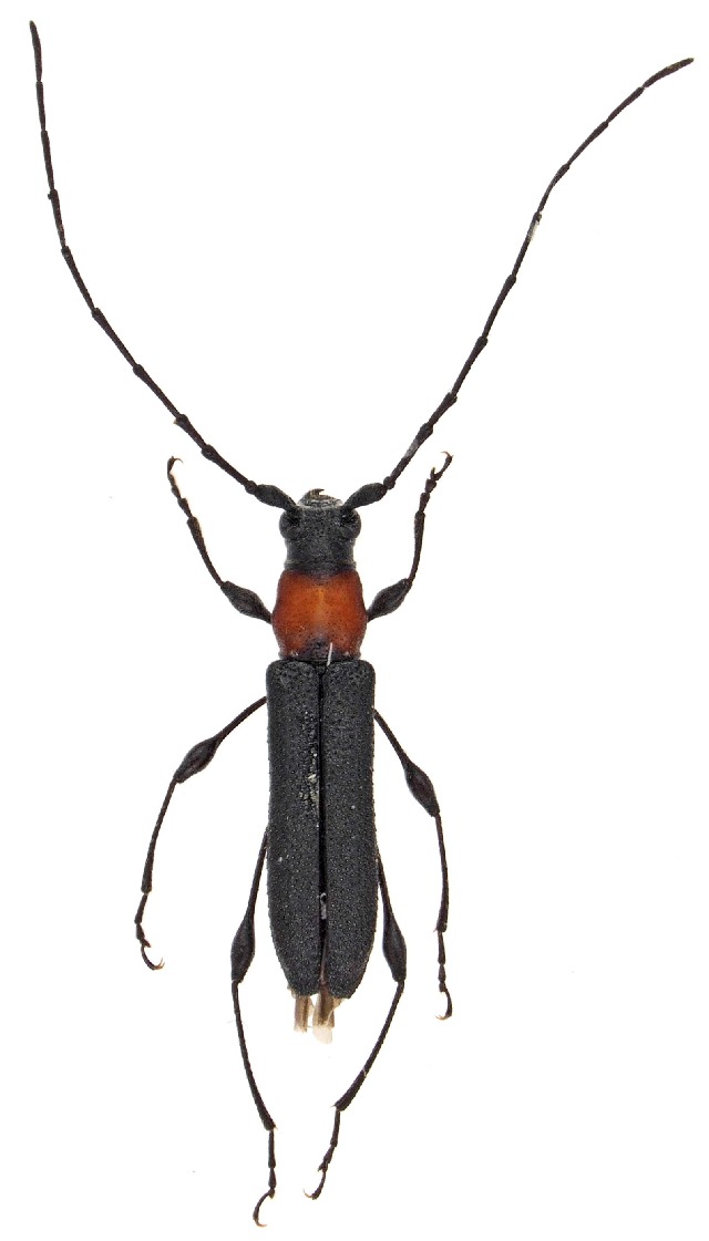
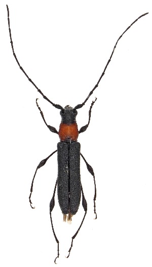
images representing specimens of Rhopalophora meeskei
 ( - UAIC1125723)  @11 [ ] by (2021) Wendy Moore University of Arizona Insect Collection  ( - CCDB-34784-F04)  @11 [ ] CreativeCommons - Attribution (2019) Smithsonian Institution Smithsonian Institution  ( - CCDB-34784-F03)  @11 [ ] CreativeCommons - Attribution (2019) Smithsonian Institution Smithsonian Institution
 ( - UAIC1151526)  @11 [ ] Copyright  Salvador Vitanza Unspecified
  Sample ID:
UAIC1151526
  License:
Copyright 
  License Holder:
Salvador Vitanza, Unspecified

Collection Sites




Collected from 1 countries.
Top 20:
Show All Countries Expand List
United States4