Osmidus guttatus {species} - Arthropoda; Insecta; Coleoptera; Cerambycidae; Cerambycinae; Hesperophanini; Osmidus;

For the latest taxonomy data, visit boldsystems.org.

BOLD Stats

Specimen Records: 6 Public Records: 3
Specimens with Sequences: 1 Public Species: 1
Specimens with Barcodes: 0 Public BINs: 0
Species: 1          
Species With Barcodes: 0          
           

Contributors (Specimens & Sequencing)

Specimen Depositories: Sequencing Labs:
Depositories
Sequencing Labs

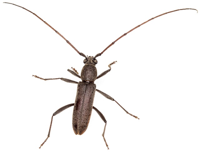
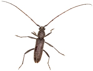
Imagery

images representing specimens of Osmidus guttatus
 ( - UAIC1125728)  @11 [ ] by (2021) Wendy Moore University of Arizona Insect Collection  ( - UAIC1151216)  @11 [ ] Copyright  Salvador Vitanza Unspecified  ( - CCDB-34781-A03)  @11 [ ] CreativeCommons - Attribution (2019) Smithsonian Institution Smithsonian Institution
 ( - CCDB-34781-A02)  @11 [ ] CreativeCommons - Attribution (2019) Smithsonian Institution Smithsonian Institution  ( - UAIC1139135)  @11 [ ] Copyright  Salvador Vitanza Unspecified  ( - UAIC1139162)  @11 [ ] Copyright  Salvador Vitanza Unspecified
  Sample ID:
UAIC1139162
  License:
Copyright 
  License Holder:
Salvador Vitanza, Unspecified

Collection Sites




Collected from 2 countries.
Top 20:
Show All Countries Expand List
United States5Mexico1