Malobidion brunneum {species} - Arthropoda; Insecta; Coleoptera; Cerambycidae; Cerambycinae; Hesperophanini; Malobidion;

For the latest taxonomy data, visit boldsystems.org.

BOLD Stats

Specimen Records: 4 Public Records: 3
Specimens with Sequences: 3 Public Species: 1
Specimens with Barcodes: 3 Public BINs: 2
Species: 1          
Species With Barcodes: 1          
           

Contributors (Specimens & Sequencing)

Specimen Depositories: Sequencing Labs:
Depositories
Sequencing Labs

Imagery

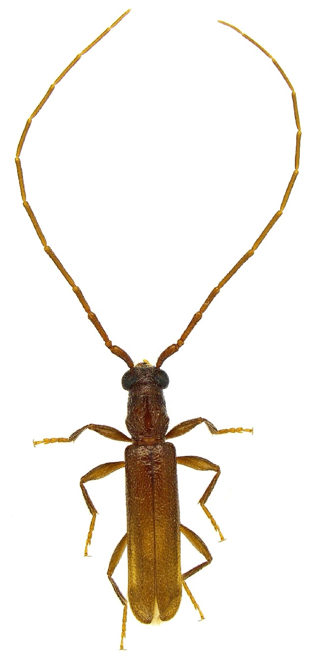
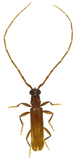
images representing specimens of Malobidion brunneum
 ( - UAIC1125727)  @11 [ ] by (2021) Wendy Moore University of Arizona Insect Collection  ( - CCDB-34781-A01)  @11 [ ] CreativeCommons - Attribution (2019) Smithsonian Institution Smithsonian Institution  ( - CCDB-34778-H11)  @11 [ ] CreativeCommons - Attribution (2019) Smithsonian Institution Smithsonian Institution
 ( - UAIC1139213)  @11 [ ] Copyright  Salvador Vitanza Unspecified
  Sample ID:
UAIC1139213
  License:
Copyright 
  License Holder:
Salvador Vitanza, Unspecified

Collection Sites




Collected from 1 countries.
Top 20:
Show All Countries Expand List
United States4