Lygus {genus} - Arthropoda; Insecta; Hemiptera; Miridae; Mirinae; Mirini;

For the latest taxonomy data, visit boldsystems.org.

BOLD Stats

Specimen Records: 5,030 Public Records: 4,156
Specimens with Sequences: 4,759 Public Species: 35
Specimens with Barcodes: 4,018 Public BINs: 4
Species: 41          
Species With Barcodes: 35          
           

Contributors (Specimens & Sequencing)

Specimen Depositories: Sequencing Labs:
Depositories
Sequencing Labs

Imagery

images representing subtaxa of Lygus
 (Lygus abroniae - CNC#HEM300043)  @13 [ ] CreativeCommons - Attribution (2011) CNC/CBG Photography Group Centre for Biodiversity Genomics  (Lygus aeratus - 10BBCHEM-1403)  @13 [ ] CreativeCommons - Attribution (2010) CBG Photography Group Centre for Biodiversity Genomics  (Lygus atriflavus - CNC-HEM-1321)  @13 [ ] Copyright (2010) Her Majesty the Queen in Right of Canada Agriculture and Agri-Food Canada
 (Lygus atritibialis - CNC#HEM300047)  @14 [ ] CreativeCommons - Attribution (2011) CNC/CBG Photography Group Centre for Biodiversity Genomics  (Lygus borealis - CNC#HEM010291-6)  @14 [ ] CreativeCommons - Attribution (2011) CNC/CBG Photography Group Centre for Biodiversity Genomics  (Lygus bradleyi - CCDB-21310-B04)  @13 [ ] CreativeCommons - Attribution (2013) CBG Photography Group Centre for Biodiversity Genomics
 (Lygus ceanothi - CNC#HEM300056)  @13 [ ] CreativeCommons - Attribution (2011) CNC/CBG Photography Group Centre for Biodiversity Genomics  (Lygus convexicollis - CNC#HEM300053)  @13 [ ] CreativeCommons - Attribution (2011) CNC/CBG Photography Group Centre for Biodiversity Genomics  (Lygus elisus - CNC#HEM011051-6)  @13 [ ] CreativeCommons - Attribution (2011) CNC/CBG Photography Group Centre for Biodiversity Genomics
 (Lygus gemellatus - BFB_Heteroptera_Kuechler_0119)  @12 [ ] CreativeCommons - Attribution Non-Commercial Share-Alike (2010) SNSB, Zoologische Staatssammlung Muenchen SNSB, Zoologische Staatssammlung Muenchen  (Lygus hesperus - 10BBCHEM-0224)  @14 [ ] CreativeCommons - Attribution (2010) CBG Photography Group Centre for Biodiversity Genomics  (Lygus humeralis - CNC-HEM-0257)  @13 [ ] CreativeCommons - Attribution (2010) CBG Photography Group Centre for Biodiversity Genomics
 (Lygus keltoni - 10BBCHEM-0778)  @14 [ ] CreativeCommons - Attribution (2010) CBG Photography Group Centre for Biodiversity Genomics  (Lygus lineolaris - BIOUG01019-F05)  @15 [ ] CreativeCommons - Attribution (2011) CBG Photography Group Centre for Biodiversity Genomics  (Lygus lupini - UAM:Ento:150171)  @13 [ ] CreativeCommons - Attribution Non-Commercial No Derivatives (2014) Derek Sikes University of Alaska Museum
 (Lygus maritimus - RMNH.INS.545071)  @13 [ ] CreativeCommons - Attribution Non-Commercial Share-Alike (2013) Unspecified Naturalis Biodiversity Center  (Lygus mexicanus - CNC#HEM304356)  @11 [ ] CreativeCommons - Attribution (2011) CNC/CBG Photography Group Centre for Biodiversity Genomics  (Lygus oregonae - CNC#HEM300045)  @13 [ ] CreativeCommons - Attribution (2011) CNC/CBG Photography Group Centre for Biodiversity Genomics
 (Lygus perplexus - CNC#HEM300066)  @11 [ ] CreativeCommons - Attribution (2011) CNC/CBG Photography Group Centre for Biodiversity Genomics  (Lygus plagiatus - 08BBHEM-694)  @13 [ ] CreativeCommons - Attribution (2009) CBG Photography Group Centre for Biodiversity Genomics  (Lygus potentillae - CNC#HEM300007)  @13 [ ] CreativeCommons - Attribution (2011) CNC/CBG Photography Group Centre for Biodiversity Genomics
 (Lygus pratensis - EUBUG_880_m_Lygugeme1)  @14 [ ] Unspecified (default): All Rights Reserved  Unspecified Unspecified  (Lygus punctatus - CNC#HEM301007)  @15 [ ] CreativeCommons - Attribution (2011) CNC/CBG Photography Group Centre for Biodiversity Genomics  (Lygus robustus - CNC-HEM-0226)  @13 [ ] Copyright (2010) Her Majesty the Queen in Right of Canada Agriculture and Agri-Food Canada
 (Lygus rolfsi - CNC#HEM300052)  @13 [ ] CreativeCommons - Attribution (2011) CNC/CBG Photography Group Centre for Biodiversity Genomics  (Lygus rubroclarus - CNC-HEM-0212)  @13 [ ] CreativeCommons - Attribution (2010) CBG Photography Group Centre for Biodiversity Genomics  (Lygus rubrosignatus - CNC#HEM300012)  @13 [ ] CreativeCommons - Attribution (2011) CNC/CBG Photography Group Centre for Biodiversity Genomics
 (Lygus rufidorsus - CNC-HEM-0211)  @13 [ ] CreativeCommons - Attribution (2010) CBG Photography Group Centre for Biodiversity Genomics  (Lygus rugulipennis - PBI 00396063)  @14 [ ] CreativeCommons - Attribution (2012) CNC/CBG Photography Group Centre for Biodiversity Genomics  (Lygus scudderi - CNC#HEM300063)  @13 [ ] CreativeCommons - Attribution (2011) CNC/CBG Photography Group Centre for Biodiversity Genomics
 (Lygus shulli - CNC-HEM-0231)  @13 [ ] Copyright (2010) Her Majesty the Queen in Right of Canada Agriculture and Agri-Food Canada  (Lygus solidaginis - CNC#HEM010399-6)  @13 [ ] CreativeCommons - Attribution (2011) CNC/CBG Photography Group Centre for Biodiversity Genomics  (Lygus sp - ZFMK-TIS-2556485)  @11 [ ] CreativeCommons – Attribution Share-Alike (by-sa) 640 (2015) Unspecified Zoologisches Forschungsmuseum Alexander Koenig
 (Lygus striatus - 10BBCHEM-0720)  @14 [ ] CreativeCommons - Attribution (2010) CBG Photography Group Centre for Biodiversity Genomics  (Lygus unctuosus - 08BBHEM-334)  @13 [ ] CreativeCommons - Attribution (2008) CBG Photography Group Centre for Biodiversity Genomics  (Lygus vanduzeei - CNC#HEM032693-8)  @14 [ ] CreativeCommons - Attribution (2011) CNC/CBG Photography Group Centre for Biodiversity Genomics
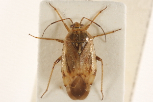
 (Lygus wagneri - PBI 00396080)  @13 [ ] CreativeCommons - Attribution (2012) CNC/CBG Photography Group Centre for Biodiversity Genomics
  Sample ID:
PBI 00396080
  License:
CreativeCommons - Attribution (2012)
  License Holder:
CNC/CBG Photography Group, Centre for Biodiversity Genomics

Collection Sites




Collected from 20 countries.
Top 20:
Show All Countries Expand List
Canada2719Norway12Portugal1
United States1123France9Suriname1
Germany99Bulgaria8South Korea1
Austria26United Kingdom4Honduras1
Netherlands22Japan4China1
Belarus17Russia3Mexico1
Pakistan14Italy2