Dendrophagus cygnaei {species} - Arthropoda; Insecta; Coleoptera; Silvanidae; Brontinae; Brontini; Dendrophagus;

For the latest taxonomy data, visit boldsystems.org.

BOLD Stats

Specimen Records: 25 Public Records: 20
Specimens with Sequences: 23 Public Species: 1
Specimens with Barcodes: 21 Public BINs: 1
Species: 1          
Species With Barcodes: 1          
           

Contributors (Specimens & Sequencing)

Specimen Depositories: Sequencing Labs:
Depositories
Sequencing Labs

Imagery

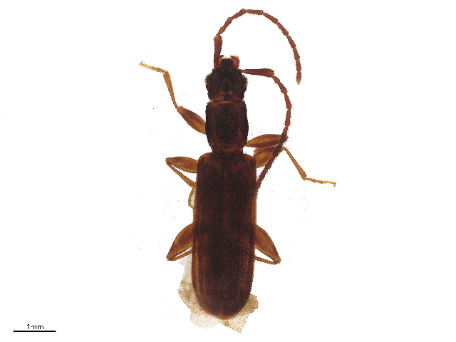
images representing specimens of Dendrophagus cygnaei
 ( - CNC COLEO 00159807)  @14 [ ] CreativeCommons - Attribution (2012) CNC/CBG Photography Group Centre for Biodiversity Genomics  ( - UAM:Ento:141051)  @14 [ ] CreativeCommons - Attribution Non-Commercial No Derivatives (2012) Derek Sikes University of Alaska Museum  ( - UAM:Ento:86303)  @13 [ ] CreativeCommons - Attribution Non-Commercial No Derivatives (2013) Derek Sikes University of Alaska Museum
 ( - CNC COLEO 00159806)  @13 [ ] CreativeCommons - Attribution (2012) CNC/CBG Photography Group Centre for Biodiversity Genomics  ( - CNC COLEO 00159843)  @13 [ ] CreativeCommons - Attribution (2012) CNC/CBG Photography Group Centre for Biodiversity Genomics  ( - CNC COLEO 00159805)  @13 [ ] CreativeCommons - Attribution (2012) CNC/CBG Photography Group Centre for Biodiversity Genomics
 ( - BIOUG02612-H04)  @12 [ ] CreativeCommons - Attribution (2011) M. Alex Smith Centre for Biodiversity Genomics  ( - CCDB-23664-G10)  @12 [ ] No Rights Reserved (2098) Elyssa Cameron McGill University  ( - CNC COLEO 00159841)  @11 [ ] CreativeCommons - Attribution (2012) CNC/CBG Photography Group Centre for Biodiversity Genomics
 ( - CCDB-22968-F04)  @11 [ ] CreativeCommons - Attribution (2015) CBG Photography Group Centre for Biodiversity Genomics  ( - CNC COLEO 00159842)  @11 [ ] CreativeCommons - Attribution (2012) CNC/CBG Photography Group Centre for Biodiversity Genomics  ( - BIOUG05822-A05)  @11 [ ] CreativeCommons - Attribution Share - Alike (2025) CBG Photography Group Centre for Biodiversity Genomics
 ( - BIOUG05822-D08)  @11 [ ] CreativeCommons - Attribution Share - Alike (2025) CBG Photography Group Centre for Biodiversity Genomics  ( - BIOUG04043-G02)  @11 [ ] CreativeCommons - Attribution Share - Alike (2025) CBG Photography Group Centre for Biodiversity Genomics  ( - BIOUG04808-A11)  @11 [ ] CreativeCommons - Attribution Share - Alike (2025) CBG Photography Group Centre for Biodiversity Genomics
 ( - BIOUG05822-C03)  @11 [ ] CreativeCommons - Attribution Share - Alike (2025) CBG Photography Group Centre for Biodiversity Genomics
  Sample ID:
BIOUG05822-C03
  License:
CreativeCommons - Attribution Share - Alike (2025)
  License Holder:
CBG Photography Group, Centre for Biodiversity Genomics

Collection Sites




Collected from 2 countries.
Top 20:
Show All Countries Expand List
Canada21United States3