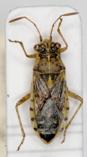
Brachycarenus tigrinus {species} - Arthropoda; Insecta; Hemiptera; Rhopalidae; Rhopalinae; Rhopalini; Brachycarenus;

For the latest taxonomy data, visit boldsystems.org.

BOLD Stats

Specimen Records: 58 Public Records: 35
Specimens with Sequences: 50 Public Species: 1
Specimens with Barcodes: 48 Public BINs: 1
Species: 1          
Species With Barcodes: 1          
           

Contributors (Specimens & Sequencing)

Specimen Depositories: Sequencing Labs:
Depositories
Sequencing Labs

Imagery

images representing specimens of Brachycarenus tigrinus
 ( - CNC#HEM300702)  @14 [ ] CreativeCommons - Attribution (2011) CNC/CBG Photography Group Centre for Biodiversity Genomics  ( - RMNH.INS.555535)  @13 [ ] CreativeCommons - Attribution Non-Commercial Share-Alike (2013) Unspecified Naturalis Biodiversity Center  ( - CNC-HEM-0883)  @13 [ ] CreativeCommons - Attribution (2009) CBG Photography Group Centre for Biodiversity Genomics
 ( - CNC-HEM-0885)  @13 [ ] CreativeCommons - Attribution (2009) CBG Photography Group Centre for Biodiversity Genomics  ( - CNC-HEM-0886)  @13 [ ] CreativeCommons - Attribution (2009) CBG Photography Group Centre for Biodiversity Genomics  ( - BFB_Heteroptera_Kuechler_0118)  @12 [ ] CreativeCommons - Attribution Non-Commercial Share-Alike (2010) SNSB, Zoologische Staatssammlung Muenchen SNSB, Zoologische Staatssammlung Muenchen
 ( - CNC-HEM-0881)  @12 [ ] CreativeCommons - Attribution (2009) CBG Photography Group Centre for Biodiversity Genomics  ( - 08BBHEM-542)  @12 [ ] CreativeCommons - Attribution (2009) CBG Photography Group Centre for Biodiversity Genomics  ( - CNC-HEM-0882)  @12 [ ] CreativeCommons - Attribution (2009) CBG Photography Group Centre for Biodiversity Genomics
 ( - CNC-HEM-0884)  @12 [ ] CreativeCommons - Attribution (2009) CBG Photography Group Centre for Biodiversity Genomics  ( - ABOL-25-1079)  @11 [ ] Unspecified (default): All Rights Reserved (2025) Wolfgang Rabitsch Unspecified  ( - EUBUG_469_f_Bractigr2)  @11 [ ] Unspecified (default): All Rights Reserved  Unspecified Unspecified
 ( - EUBUG_820_f_Bractigr2)  @11 [ ] Unspecified (default): All Rights Reserved  Unspecified Unspecified  ( - EUBUG_821_m_Bractigr3)  @11 [ ] Unspecified (default): All Rights Reserved  Unspecified Unspecified  ( - EUBUG_822_f_Bractigr4)  @11 [ ] Unspecified (default): All Rights Reserved  Unspecified Unspecified
 ( - RMNH.INS.554206)  @11 [ ] CreativeCommons - Attribution Non-Commercial Share-Alike (2013) Unspecified Naturalis Biodiversity Center  ( - ZFMK-TIS-2564897)  @11 [ ] CreativeCommons – Attribution Share-Alike (by-sa) 640 (2016) Unspecified Zoologisches Forschungsmuseum Alexander Koenig  ( - ZFMK-TIS-2564915)  @11 [ ] CreativeCommons – Attribution Share-Alike (by-sa) 640 (2016) Unspecified Zoologisches Forschungsmuseum Alexander Koenig
 ( - ZFMK-TIS-2008290)  @11 [ ] CreativeCommons – Attribution Share-Alike (by-sa) 640 (2017) Unspecified Zoologisches Forschungsmuseum Alexander Koenig  ( - CNC-HEM-0880)  @11 [ ] CreativeCommons - Attribution (2009) CBG Photography Group Centre for Biodiversity Genomics  ( - TR769)  @11 [ ] CreativeCommons - Attribution Non-Commercial (2015) Marko Mutanen University of Oulu
  Sample ID:
TR769
  License:
CreativeCommons - Attribution Non-Commercial (2015)
  License Holder:
Marko Mutanen, University of Oulu

Collection Sites




Collected from 8 countries.
Top 20:
Show All Countries Expand List
United States14Pakistan5Austria2
Canada11France5Portugal1
Germany9Netherlands4