Glyphonyx {genus} - Arthropoda; Insecta; Coleoptera; Elateridae; Elaterinae; Synaptini;

For the latest taxonomy data, visit boldsystems.org.

BOLD Stats

Specimen Records: 338 Public Records: 298
Specimens with Sequences: 298 Public Species: 12
Specimens with Barcodes: 290 Public BINs: 11
Species: 18          
Species With Barcodes: 10          
           

Contributors (Specimens & Sequencing)

Specimen Depositories: Sequencing Labs:
Depositories
Sequencing Labs

Imagery

images representing subtaxa of Glyphonyx
 (Glyphonyx bicolor - Gbicb3)  @13 [ ] Copyright (2013) Unspecified Specimen depository of the Graduate School of Natural Sciences, Nagoya City University  (Glyphonyx bimarginatus - CNC COLEO 00152626)  @14 [ ] CreativeCommons - Attribution (2012) CNC/CBG Photography Group Centre for Biodiversity Genomics  (Glyphonyx championi - CNC COLEO 00152629)  @14 [ ] CreativeCommons - Attribution (2012) CNC/CBG Photography Group Centre for Biodiversity Genomics
 (Glyphonyx dalopioides - Gdal1)  @13 [ ] Copyright (2013) Unspecified Specimen depository of the Graduate School of Natural Sciences, Nagoya City University  (Glyphonyx ferruginosus - CNC COLEO 00158609)  @11 [ ] CreativeCommons - Attribution (2012) CNC/CBG Photography Group Centre for Biodiversity Genomics  (Glyphonyx flohri - INBIOCRI000714301)  @11 [ ] Copyright (2012) Angel Solis Instituto Nacional de Biodiversidad
 (Glyphonyx illepidius - Gill1)  @12 [ ] Copyright (2013) Unspecified Specimen depository of the Graduate School of Natural Sciences, Nagoya City University  (Glyphonyx inquinatus - 05-CTATBI-0647)  @13 [ ] CreativeCommons - Attribution (2008) CBG Photography Group Centre for Biodiversity Genomics  (Glyphonyx knulli - UAIC1151753)  @11 [ ] Copyright  Salvador Vitanza Unspecified
 (Glyphonyx makiharai - Gmak1)  @12 [ ] Copyright (2013) Unspecified Specimen depository of the Graduate School of Natural Sciences, Nagoya City University  (Glyphonyx nanus - CNC COLEO 00158614)  @11 [ ] CreativeCommons - Attribution (2012) CNC/CBG Photography Group Centre for Biodiversity Genomics  (Glyphonyx pallidipes - Gpal1)  @12 [ ] Copyright (2013) Unspecified Specimen depository of the Graduate School of Natural Sciences, Nagoya City University
 (Glyphonyx quadraticollis - CNC COLEO 00152647)  @14 [ ] CreativeCommons - Attribution (2012) CNC/CBG Photography Group Centre for Biodiversity Genomics  (Glyphonyx quietus - CNC COLEO 00152640)  @11 [ ] CreativeCommons - Attribution (2012) CNC/CBG Photography Group Centre for Biodiversity Genomics  (Glyphonyx recticollis - CNC COLEO 00152649)  @11 [ ] CreativeCommons - Attribution (2012) CNC/CBG Photography Group Centre for Biodiversity Genomics
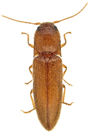
 (Glyphonyx rhopalacanthus - CNC COLEO 00152652)  @11 [ ] CreativeCommons - Attribution (2012) CNC/CBG Photography Group Centre for Biodiversity Genomics  (Glyphonyx teapensis - INBIOCRI000249313)  @11 [ ] Copyright (2012) Angel Solis Instituto Nacional de Biodiversidad  (Glyphonyx testaceus - CNC COLEO 00152659)  @11 [ ] CreativeCommons - Attribution (2012) CNC/CBG Photography Group Centre for Biodiversity Genomics
  Sample ID:
CNC COLEO 00152659
  License:
CreativeCommons - Attribution (2012)
  License Holder:
CNC/CBG Photography Group, Centre for Biodiversity Genomics

Collection Sites




Collected from 5 countries.
Top 20:
Show All Countries Expand List
Costa Rica182United States47Philippines1
Honduras99Japan8