You've been logged out. Click
here
to log back in.
Log In
Log In
BOLD Systems
Databases
Taxonomy
Identification
Workbench
Resources
Latest Version
Tempyra {genus} -
Arthropoda
;
Insecta
;
Hemiptera
;
Rhyparochromidae
;
Rhyparochrominae
;
Udeocorini
;
Print
For the latest taxonomy data, visit
boldsystems.org
.
Search Taxonomy
Sub-taxa
Species (2)
Tempyra biguttula [3]
Tempyra testacea [1]
Taxon Description (Wikipedia)
full article at Wikipedia
BOLD Stats
Specimen Records:
4
Public Records:
0
Specimens with Sequences:
0
Public Species:
0
Specimens with Barcodes:
0
Public BINs:
0
Species:
2
Species With Barcodes:
0
Species List - Progress
Access Published & Released Data
Contributors (Specimens & Sequencing)
Specimen Depositories:
Sequencing Labs:
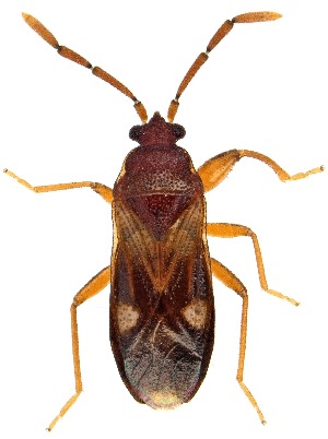
Imagery
images representing subtaxa of Tempyra
(
Tempyra testacea
)
Sample ID:
UAIC1139336
License:
Copyright
License Holder:
Salvador Vitanza, Unspecified
Collection Sites
Collected from 1 countries.
Top 20:
Show All Countries
United States
4