Rocconota tuberculigera {species} - Arthropoda; Insecta; Hemiptera; Reduviidae; Harpactorinae; Harpactorini; Rocconota;

For the latest taxonomy data, visit boldsystems.org.

BOLD Stats

Specimen Records: 3 Public Records: 0
Specimens with Sequences: 0 Public Species: 0
Specimens with Barcodes: 0 Public BINs: 0
Species: 1          
Species With Barcodes: 0          
           

Contributors (Specimens & Sequencing)

Specimen Depositories: Sequencing Labs:
Depositories

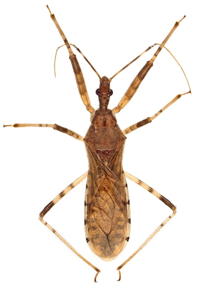
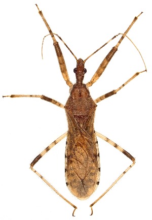
Imagery

images representing specimens of Rocconota tuberculigera
 ( - YB-BCI167515)  @11 [ ] No Rights Reserved  Unspecified Unspecified  ( - YB-BCI167512)  @11 [ ] No Rights Reserved  Unspecified Unspecified
  Sample ID:
YB-BCI167512
  License:
No Rights Reserved 
  License Holder:
Unspecified

Collection Sites




Collected from 2 countries.
Top 20:
Show All Countries Expand List
Panama2United States1