Zaglyptomorpha auxiliadorae {species} - Arthropoda; Insecta; Hymenoptera; Ichneumonidae; Banchinae; Zaglyptomorpha;

For the latest taxonomy data, visit boldsystems.org.

BOLD Stats

Specimen Records: 238 Public Records: 202
Specimens with Sequences: 231 Public Species: 1
Specimens with Barcodes: 224 Public BINs: 1
Species: 1          
Species With Barcodes: 1          
           

Contributors (Specimens & Sequencing)

Specimen Depositories: Sequencing Labs:
Depositories
Sequencing Labs

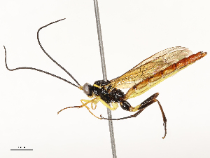
Imagery

images representing specimens of Zaglyptomorpha auxiliadorae
 ( - CBG-A67846-E01)  @11 [ ] CreativeCommons - Attribution Share - Alike (2025) CBG Photography Group Centre for Biodiversity Genomics  ( - CBG-A67846-A08)  @11 [ ] CreativeCommons - Attribution Share - Alike (2025) CBG Photography Group Centre for Biodiversity Genomics  ( - CBG-A67840-G08)  @11 [ ] CreativeCommons - Attribution Share - Alike (2025) CBG Photography Group Centre for Biodiversity Genomics
 ( - CBG-A72921-B08)  @11 [ ] CreativeCommons - Attribution Share - Alike (2025) CBG Photography Group Centre for Biodiversity Genomics  ( - CBG-A35075-B06)  @11 [ ] CreativeCommons - Attribution Share - Alike (2024) Centre for Biodiversity Genomics Centre for Biodiversity Genomics  ( - BIOUG64442-G04)  @11 [ ] CreativeCommons - Attribution (2021) Centre for Biodiversity Genomics Centre for Biodiversity Genomics
 ( - BIOUG64443-A07)  @11 [ ] CreativeCommons - Attribution (2021) Centre for Biodiversity Genomics Centre for Biodiversity Genomics  ( - BIOUG33277-A01)  @11 [ ] CreativeCommons - Attribution (2017) CBG Photography Group Centre for Biodiversity Genomics  ( - BIOUG63996-A08)  @11 [ ] CreativeCommons - Attribution (2021) Centre for Biodiversity Genomics Centre for Biodiversity Genomics
 ( - CBG-A13267-C09)  @11 [ ] CreativeCommons - Attribution Share - Alike (2023) CBG Photography Group Centre for Biodiversity Genomics  ( - CBG-A36831-E10)  @11 [ ] CreativeCommons - Attribution Share - Alike (2024) CBG Photography Group Centre for Biodiversity Genomics  ( - CBG-A69582-E10)  @11 [ ] CreativeCommons - Attribution Share - Alike (2025) CBG Photography Group Centre for Biodiversity Genomics
 ( - CBG-A54501-F02)  @11 [ ] CreativeCommons - Attribution Share - Alike (2024) CBG Photography Group Centre for Biodiversity Genomics  ( - CBG-A67905-B11)  @11 [ ] CreativeCommons - Attribution Share - Alike (2025) CBG Photography Group Centre for Biodiversity Genomics  ( - CBG-A65328-G02)  @11 [ ] CreativeCommons - Attribution Share - Alike (2025) CBG Photography Group Centre for Biodiversity Genomics
 ( - CBG-A58661-D03)  @11 [ ] CreativeCommons - Attribution Share - Alike (2025) CBG Photography Group Centre for Biodiversity Genomics  ( - CBG-A69590-E08)  @11 [ ] CreativeCommons - Attribution Share - Alike (2025) CBG Photography Group Centre for Biodiversity Genomics  ( - CBG-B12661-E10)  @11 [ ] CreativeCommons - Attribution Share - Alike (2025) CBG Photography Group Centre for Biodiversity Genomics
 ( - CBG-B12450-D02)  @11 [ ] CreativeCommons - Attribution Share - Alike (2025) CBG Photography Group Centre for Biodiversity Genomics  ( - CBG-B12443-D06)  @11 [ ] CreativeCommons - Attribution Share - Alike (2025) CBG Photography Group Centre for Biodiversity Genomics  ( - CBG-A30081-A08)  @11 [ ] CreativeCommons - Attribution Share - Alike (2024) CBG Photography Group Centre for Biodiversity Genomics
  Sample ID:
CBG-A30081-A08
  License:
CreativeCommons - Attribution Share - Alike (2024)
  License Holder:
CBG Photography Group, Centre for Biodiversity Genomics

Collection Sites




Collected from 1 countries.
Top 20:
Show All Countries Expand List
Costa Rica236