Netelia Janzen2776 {species} - Arthropoda; Insecta; Hymenoptera; Ichneumonidae; Tryphoninae; Netelia;

For the latest taxonomy data, visit boldsystems.org.

BOLD Stats

Specimen Records: 21 Public Records: 15
Specimens with Sequences: 21 Public Species: 1
Specimens with Barcodes: 21 Public BINs: 1
Species: 1          
Species With Barcodes: 1          
           

Contributors (Specimens & Sequencing)

Specimen Depositories: Sequencing Labs:
Depositories
Sequencing Labs

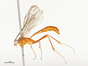
Imagery

images representing specimens of Netelia Janzen2776
 ( - BIOUG91365-D07)  @11 [ ] CreativeCommons - Attribution (2022) CBG Photography Group Centre for Biodiversity Genomics  ( - BIOUG91361-H01)  @11 [ ] CreativeCommons - Attribution (2022) CBG Photography Group Centre for Biodiversity Genomics  ( - BIOUG64450-D06)  @11 [ ] CreativeCommons - Attribution (2021) Centre for Biodiversity Genomics Centre for Biodiversity Genomics
 ( - CBG-A54421-C02)  @11 [ ] CreativeCommons - Attribution Share - Alike (2024) CBG Photography Group Centre for Biodiversity Genomics  ( - CBG-A54479-B11)  @11 [ ] CreativeCommons - Attribution Share Alike (2024) CBG Photography Group Centre for Biodiversity Genomics  ( - CBG-A58660-A01)  @11 [ ] CreativeCommons - Attribution Share - Alike (2025) CBG Photography Group Centre for Biodiversity Genomics
 ( - CBG-A36854-E01)  @11 [ ] CreativeCommons - Attribution Share - Alike (2024) CBG Photography Group Centre for Biodiversity Genomics  ( - CBG-A36864-C02)  @11 [ ] CreativeCommons - Attribution Share - Alike (2024) CBG Photography Group Centre for Biodiversity Genomics  ( - CBG-A36880-F10)  @11 [ ] CreativeCommons - Attribution Share - Alike (2024) CBG Photography Group Centre for Biodiversity Genomics
  Sample ID:
CBG-A36880-F10
  License:
CreativeCommons - Attribution Share - Alike (2024)
  License Holder:
CBG Photography Group, Centre for Biodiversity Genomics

Collection Sites




Collected from 1 countries.
Top 20:
Show All Countries Expand List
Costa Rica21