Paracanthocobitis botia {species} - Chordata; Actinopterygii; Cypriniformes; Nemacheilidae; Paracanthocobitis;

For the latest taxonomy data, visit boldsystems.org.

BOLD Stats

Specimen Records: 87 Public Records: 23
Specimens with Sequences: 84 Public Species: 1
Specimens with Barcodes: 80 Public BINs: 4
Species: 1          
Species With Barcodes: 1          
           

Contributors (Specimens & Sequencing)

Specimen Depositories: Sequencing Labs:
Depositories
Sequencing Labs

Imagery

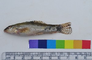
images representing specimens of Paracanthocobitis botia
 ( - NF425)  @14 [ ] Unspecified (default): All Rights Reserved  Unspecified Unspecified  ( - NF151)  @13 [ ] Unspecified (default): All Rights Reserved  Unspecified Unspecified  ( - TPNAV 516)  @11 [ ] Copyright (2017) PHCDBS PAUL HEBERT CENTRE FOR DNA BARCODING AND BIODIVERSITY STUDIES
 ( - TPNAV 503)  @11 [ ] Copyright (2017) PHCDBS PAUL HEBERT CENTRE FOR DNA BARCODING AND BIODIVERSITY STUDIES  ( - TPNAV 498)  @11 [ ] Copyright (2017) PHCDBS PAUL HEBERT CENTRE FOR DNA BARCODING AND BIODIVERSITY STUDIES  ( - TPNAV 500)  @11 [ ] Copyright (2017) PHCDBS PAUL HEBERT CENTRE FOR DNA BARCODING AND BIODIVERSITY STUDIES
 ( - TPNAV 497)  @11 [ ] Copyright (2017) PHCDBS PAUL HEBERT CENTRE FOR DNA BARCODING AND BIODIVERSITY STUDIES  ( - TPNAV 499)  @11 [ ] Copyright (2017) PHCDBS PAUL HEBERT CENTRE FOR DNA BARCODING AND BIODIVERSITY STUDIES  ( - MAKS 98)  @11 [ ] CreativeCommons - Attribution Share-Alike (2018) Unspecified Paul Hebert Centre for DNA Barcoding and Biodiversity Studies
 ( - ULVSP27)  @11 [ ] Unspecified (default): All Rights Reserved  Unspecified Unspecified  ( - MAKS 72)  @11 [ ] Copyright (2016) PHCDBS PAUL HEBERT CENTRE FOR DNA BARCODING AND BIODIVERSITY STUDIES  ( - MAKS 72)  @11 [ ] Copyright (2016) PHCDBS PAUL HEBERT CENTRE FOR DNA BARCODING AND BIODIVERSITY STUDIES
 ( - MAKS 74)  @11 [ ] Copyright (2016) PHCDBS PAUL HEBERT CENTRE FOR DNA BARCODING AND BIODIVERSITY STUDIES  ( - KOY55)  @11 [ ] Copyright (2015) Dr.G.D. Khedkar PAUL HEBERT CENTRE FOR DNA BARCODING AND BIODIVERSITY STUDIES  ( - MAP6)  @11 [ ] Copyright (2017) Dr. G.D. Khedkar Paul Hebert Centre For DNA Barcoding And Biodiversity Studies
 ( - MAHN2272)  @11 [ ] Copyright (2018) PHCDBS Paul Hebert Centre For DNA Barcoding & Biodiversity Studies  ( - DAK-83A)  @11 [ ] CreativeCommons-Attribution Non-Commercial Share-Alike (2020) Dr.Arif Muhammad Khan University of Sargodha ,Sargodha ,Pakistan  ( - DAK-110B)  @11 [ ] CreativeCommons-Attribution Non-Commercial Share-Alike (2020) Dr.Arif Muhammad Khan University of Sargodha ,Sargodha ,Pakistan
 ( - DAK-83B)  @11 [ ] CreativeCommons-Attribution Non-Commercial Share-Alike (2020) Dr.Arif Muhammad Khan University of Sargodha ,Sargodha ,Pakistan  ( - DAK-83C)  @11 [ ] CreativeCommons-Attribution Non-Commercial Share-Alike (2020) Dr.Arif Muhammad Khan University of Sargodha ,Sargodha ,Pakistan
  Sample ID:
DAK-83C
  License:
CreativeCommons-Attribution Non-Commercial Share-Alike (2020)
  License Holder:
Dr.Arif Muhammad Khan, University of Sargodha ,Sargodha ,Pakistan

Collection Sites




Collected from 3 countries.
Top 20:
Show All Countries Expand List
India35Pakistan6Myanmar5