You've been logged out. Click
here
to log back in.
Log In
Log In
BOLD Systems
Databases
Taxonomy
Identification
Workbench
Resources
Latest Version
Susuacanga {genus} -
Arthropoda
;
Insecta
;
Coleoptera
;
Cerambycidae
;
Cerambycinae
;
Eburiini
;
Print
For the latest taxonomy data, visit
boldsystems.org
.
Search Taxonomy
Sub-taxa
Species (1)
Susuacanga octoguttata [6]
Taxon Description (Wikipedia)
full article at Wikipedia
BOLD Stats
Specimen Records:
7
Public Records:
3
Specimens with Sequences:
3
Public Species:
1
Specimens with Barcodes:
3
Public BINs:
1
Species:
1
Species With Barcodes:
1
Species List - Progress
Access Published & Released Data
Contributors (Specimens & Sequencing)
Specimen Depositories:
Sequencing Labs:
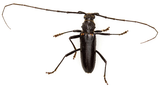
Imagery
images representing subtaxa of Susuacanga
(
Susuacanga octoguttata
)
Sample ID:
CBF-Ceram-000100
License:
Copyright (2011)
License Holder:
CBF, Coleccion Boliviana de Fauna
Collection Sites
Collected from 3 countries.
Top 20:
Show All Countries
Argentina
3
Bolivia
3
United States
1